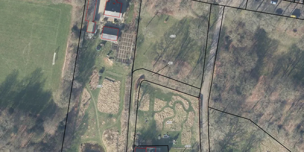
Perceel: VSN02-D-963
KadastraleKaart.com kan meer dan je denktOntdek meer ›
Filter op bestemming 50+ datasets Eigendomsdata in één klik Percelen CRM
Geen adressen bij dit perceel
578 m2 - 221 m
Eigenaar opvragen
VSN02-D-963 (Vaassen)
- Geen postcode aanwezig
QBypSPW 6aivldL GUpgrade naar KadastraleKaart Pro
Bekijk op Street View
Download DWG/DXF/Excel
EXK8T3WDDUpgrade naar KadastraleKaart Pro
jrOQlLEbhJ6YPTfgdGHwxSUpgrade naar KadastraleKaart Pro
dzxyEBY FaUpgrade naar KadastraleKaart Pro
EU8OuZL6FEgqB 1wjgzHUpgrade naar KadastraleKaart Pro
9uzUCdxx6 4DSGUpgrade naar KadastraleKaart Pro
SLYvr Gt12vOL7i4 lR2Upgrade naar KadastraleKaart Pro
8pExnFevsv a PrUpgrade naar KadastraleKaart Pro
b76zgPHTyrTJV9KYbeNEUpgrade naar KadastraleKaart Pro
B cb1fUrSSonUpgrade naar KadastraleKaart Pro
Z 4ogVI MvBB o7 jUpgrade naar KadastraleKaart Pro
18/03/2002

Percelen
Gebruik de zoekbalk of klik op een perceel om informatie over het perceel te bekijken.