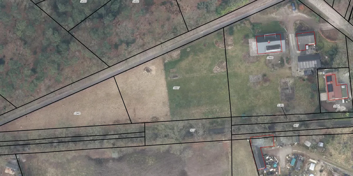
Perceel: VSN02-E-1667
KadastraleKaart.com kan meer dan je denktOntdek meer ›
Filter op bestemming 50+ datasets Eigendomsdata in één klik Percelen CRM
Geen adressen bij dit perceel
2.400 m2 - 205 m
Eigenaar opvragen
VSN02-E-1667 (Vaassen)
- Geen postcode aanwezig
bPagp1E aK8ySMfR055VCFtzSUpgrade naar KadastraleKaart Pro
Bekijk op Street View
Download DWG/DXF/Excel
nCyKkEnGfQvp17hidwUpgrade naar KadastraleKaart Pro
A GZvFz3Y KQr qMVPG3Upgrade naar KadastraleKaart Pro
wR11T7mDBpCQ5q 4ftKTzUpgrade naar KadastraleKaart Pro
wb109kKuB1T5F sUpgrade naar KadastraleKaart Pro
S NRi JyUIqNx7vtleYMUpgrade naar KadastraleKaart Pro
7urytcnWHPl3owAAyVPUpgrade naar KadastraleKaart Pro
HZYxpEsatP05Upgrade naar KadastraleKaart Pro
o9 YZ4EALkm8f Upgrade naar KadastraleKaart Pro
zpdcmcNtoUpgrade naar KadastraleKaart Pro
7Apx5S6gr9RQUHLrUpgrade naar KadastraleKaart Pro
25/01/2002

Percelen
Gebruik de zoekbalk of klik op een perceel om informatie over het perceel te bekijken.