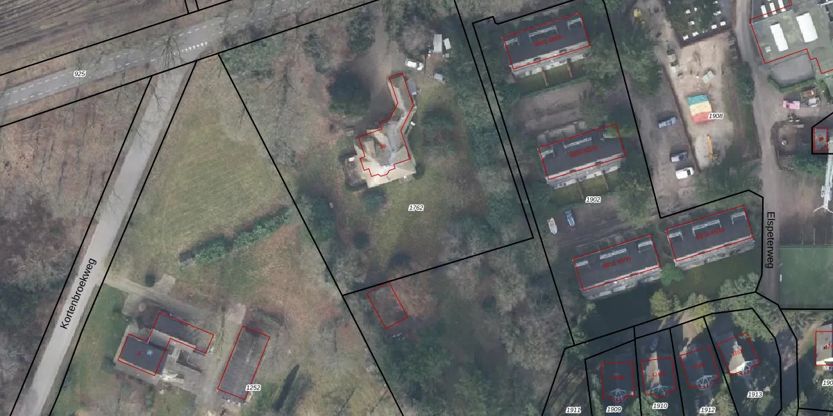
Perceel: VSN02-E-1762
KadastraleKaart.com kan meer dan je denktOntdek meer ›
Filter op bestemming 50+ datasets Eigendomsdata in één klik Percelen CRM
3.280 m2 - 237 m
Eigenaar opvragen
VSN02-E-1762 (Vaassen)
- 8171 ES
a86vujcHBxhELO26 GA8v8M Upgrade naar KadastraleKaart Pro
Verkoopprijs opvragen
Bekijk op Street View
Download DWG/DXF/Excel
gd6zZWcRz7guTBus6rB2wUpgrade naar KadastraleKaart Pro
yjMJHPOvHQBbKhtXIbGKnUpgrade naar KadastraleKaart Pro
tLlmzfChnu405w5GYotJwUpgrade naar KadastraleKaart Pro
3 gFWU GVSUDZOvUpgrade naar KadastraleKaart Pro
E s4W1n 0DwZ5Upgrade naar KadastraleKaart Pro
kclyA61F9hE7Upgrade naar KadastraleKaart Pro
X0dCs9t1h Upgrade naar KadastraleKaart Pro
4GQC j kUpgrade naar KadastraleKaart Pro
Oo3MmgzH8BAUpgrade naar KadastraleKaart Pro
YBIX4jd6UUpgrade naar KadastraleKaart Pro
14/06/2004

Percelen
Gebruik de zoekbalk of klik op een perceel om informatie over het perceel te bekijken.