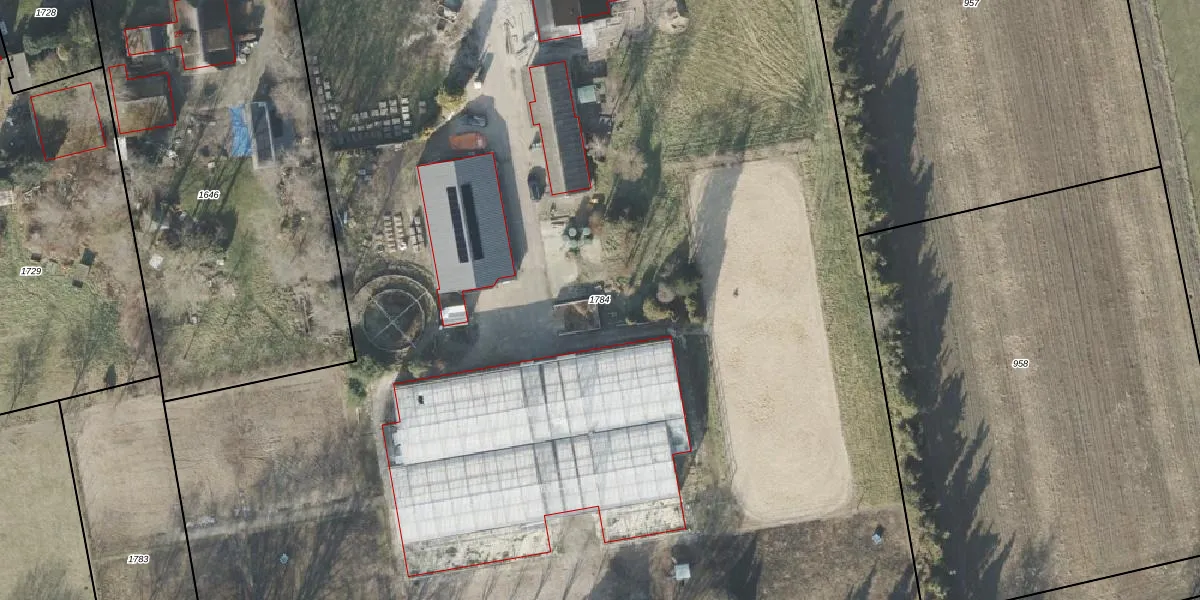
Perceel: VSN02-E-1784
KadastraleKaart.com kan meer dan je denktOntdek meer ›
Filter op bestemming 50+ datasets Eigendomsdata in één klik Percelen CRM
14.290 m2 - 518 m
Eigenaar opvragen
VSN02-E-1784 (Vaassen)
- 8171 PP
N5qNZCgtWfYTha RtYYSUpgrade naar KadastraleKaart Pro
Bekijk op Street View
Download DWG/DXF/Excel
g3YEGSmUf5 OV4gKdDrrjEUpgrade naar KadastraleKaart Pro
6IE3QR4uzZSw9riT8I4iUpgrade naar KadastraleKaart Pro
8RYUh JMK Jg5 Upgrade naar KadastraleKaart Pro
3hgqY Gb HyE DxOnUpgrade naar KadastraleKaart Pro
5mTHZ Py2yrrUpgrade naar KadastraleKaart Pro
xeI56gNRmKBflF xFMmUpgrade naar KadastraleKaart Pro
bpgh9f82XoM9L RUpgrade naar KadastraleKaart Pro
LM QySOJM4rqOQc COH imwUpgrade naar KadastraleKaart Pro
7adKsES8PDnRJqDWAQjmrCUpgrade naar KadastraleKaart Pro
kqiKNrJKAUpgrade naar KadastraleKaart Pro
04/07/2000

Percelen
Gebruik de zoekbalk of klik op een perceel om informatie over het perceel te bekijken.