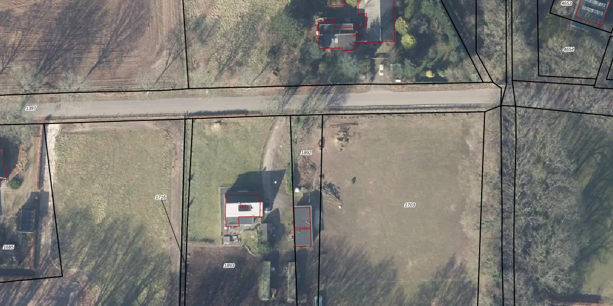
Perceel: VSN02-E-1892
KadastraleKaart.com kan meer dan je denktOntdek meer ›
Filter op bestemming 50+ datasets Eigendomsdata in één klik Percelen CRM
765 m2 - 173 m
Eigenaar opvragen
VSN02-E-1892 (Vaassen)
- 8172 CP
P7c5YQ3f8bYsk9EX1Upgrade naar KadastraleKaart Pro
Bekijk op Street View
Download DWG/DXF/Excel
piO2GplNRvRggiUpgrade naar KadastraleKaart Pro
tqUjVDbg ux349xUpgrade naar KadastraleKaart Pro
qWnbY3nHOG4DSBE0YVu2zExUpgrade naar KadastraleKaart Pro
9lJg3pD9Ka7SIUpgrade naar KadastraleKaart Pro
00hyKflVfXf LnSAnUUpgrade naar KadastraleKaart Pro
wDSrRg72CS3Ql5qLUpgrade naar KadastraleKaart Pro
e Tjc3VnI4fJCicafp4uDUpgrade naar KadastraleKaart Pro
Zjaq1yK8 Teey166dmgx7k9Upgrade naar KadastraleKaart Pro
gsZg wks4ErIUpgrade naar KadastraleKaart Pro
qx2E0dPg BbbE1 6qbJiEmUpgrade naar KadastraleKaart Pro
20/03/2018

Percelen
Gebruik de zoekbalk of klik op een perceel om informatie over het perceel te bekijken.