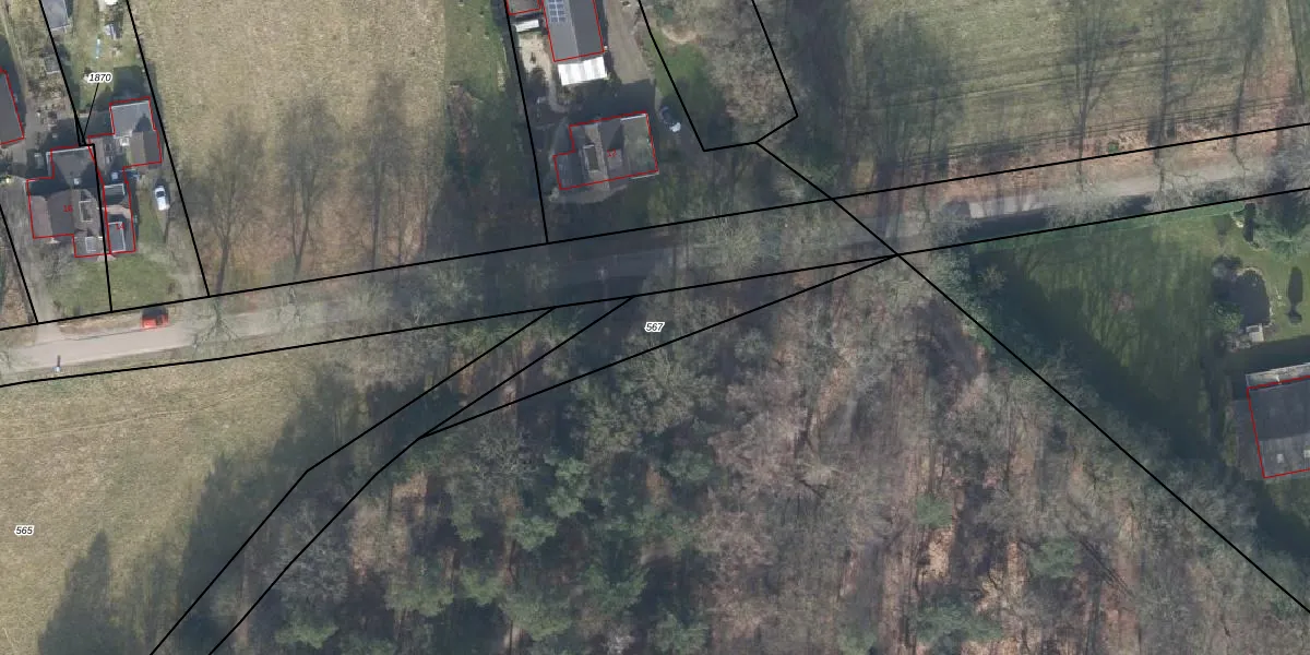
Perceel: VSN02-E-567

Adres bij perceel

Geen adressen bij dit perceel

Perceeloppervlakte & perceelomtrek

410 m2 - 159 m

Eigenaar van het perceel

Eigenaar opvragen

Kadastrale aanduiding

VSN02-E-567 (Vaassen)

Postcode in perceel

    Geen postcode aanwezig

Type eigenaar

D5hxjd94uc8 nx9Wqfo 7n2XUHXwmUpgrade naar KadastraleKaart Pro

Google Street View

Bekijk op Street View

Download

Download DWG/DXF/Excel

Gerelateerde percelen

yOBCw8niUpgrade naar KadastraleKaart Pro

Bebouwd/onbebouwd/water/groen

TuLToofcDGM8jh IbjiIIRUpgrade naar KadastraleKaart Pro
Administratieve eenheden
Aft5zNHGO jJcO bgPJv Upgrade naar KadastraleKaart Pro

Appartementsrechten

P1qXQMFm1TczDKsUrOEsY77Upgrade naar KadastraleKaart Pro

Vergunningverlenende instanties

TDqEH7rIuECUpgrade naar KadastraleKaart Pro

Bedekking (BGT)

sacBGara5MQUpgrade naar KadastraleKaart Pro

Publiekrechtelijke beperkingen

DelYz73zUpgrade naar KadastraleKaart Pro

Grensnauwkeurigheid

RJn41stgYH H2pnmZ1TUpgrade naar KadastraleKaart Pro

Coördinaten hoekpunten perceel

krcEI I EH eK AUpgrade naar KadastraleKaart Pro

Hoogteligging

FrUgy9fuD0Upgrade naar KadastraleKaart Pro

Laatst gewijzigd

05/07/2000

Kadastrale kaart met maatvoering 59,95
Kadastrale kaart pakket 28,95

Percelen

Gebruik de zoekbalk of klik op een perceel om informatie over het perceel te bekijken.
Locatie
Meten
Lagen
Download