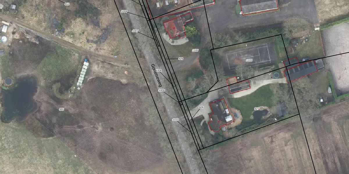
Perceel: VSN02-G-1008

Adres bij perceel

Geen adressen bij dit perceel

Perceeloppervlakte & perceelomtrek

60 m2 - 104 m

Eigenaar van het perceel

Eigenaar opvragen

Kadastrale aanduiding

VSN02-G-1008 (Vaassen)

Postcode in perceel

    Geen postcode aanwezig

Type eigenaar

2ya A f OaHCmpMU eHLqUpgrade naar KadastraleKaart Pro

Google Street View

Bekijk op Street View

Download

Download DWG/DXF/Excel

Gerelateerde percelen

wpl5hB aTx9wSbUpgrade naar KadastraleKaart Pro

Bebouwd/onbebouwd/water/groen

pL0c5 xWr 9u Upgrade naar KadastraleKaart Pro
Administratieve eenheden
CAKe51 SnMi 4BmycUpgrade naar KadastraleKaart Pro

Appartementsrechten

mhPdrA4 1TUhtFLPjRUpgrade naar KadastraleKaart Pro

Vergunningverlenende instanties

KHad7E9MDT670v9hZRbUpgrade naar KadastraleKaart Pro

Bedekking (BGT)

6X evwzI fIS0PM A4w Upgrade naar KadastraleKaart Pro

Publiekrechtelijke beperkingen

Hb57iahs8Q efcEbUpgrade naar KadastraleKaart Pro

Grensnauwkeurigheid

RGl p4SYZ1B6VjJaUpgrade naar KadastraleKaart Pro

Coördinaten hoekpunten perceel

DEOAjkLtHdUpgrade naar KadastraleKaart Pro

Hoogteligging

KE DrVaHxQxeveUpgrade naar KadastraleKaart Pro

Laatst gewijzigd

05/07/2000

Kadastrale kaart met maatvoering 59,95
Kadastrale kaart pakket 28,95

Percelen

Gebruik de zoekbalk of klik op een perceel om informatie over het perceel te bekijken.
Locatie
Meten
Lagen
Download