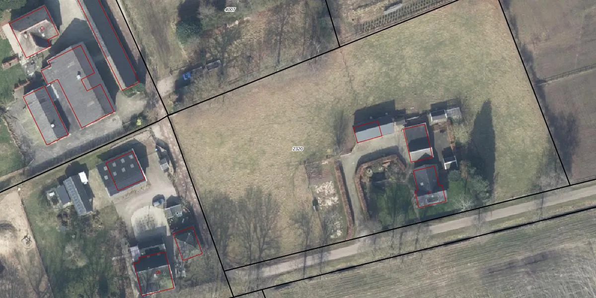
Perceel: VSN02-H-2320
KadastraleKaart.com kan meer dan je denktOntdek meer ›
Filter op bestemming 50+ datasets Eigendomsdata in één klik Percelen CRM
7.500 m2 - 365 m
Eigenaar opvragen
VSN02-H-2320 (Vaassen)
- 8171 PA
CeX1qcvuX77 5QSXt2DH7k1O NZka5Upgrade naar KadastraleKaart Pro
Verkoopprijs opvragen
Bekijk op Street View
Download DWG/DXF/Excel
1dW00jxw va7Upgrade naar KadastraleKaart Pro
KfKPhZklr lFLmmykA72DUpgrade naar KadastraleKaart Pro
l oCAzNDVUpgrade naar KadastraleKaart Pro
YCMc7gzQVIYh Upgrade naar KadastraleKaart Pro
E3NrNletlLRj5HQUpgrade naar KadastraleKaart Pro
8 pTYXIoUpgrade naar KadastraleKaart Pro
XFlUMcVPxZUpgrade naar KadastraleKaart Pro
SXt1Wvf4BUpgrade naar KadastraleKaart Pro
hpKde8RaUpgrade naar KadastraleKaart Pro
AC VHhyBhUpgrade naar KadastraleKaart Pro
18/05/2016

Percelen
Gebruik de zoekbalk of klik op een perceel om informatie over het perceel te bekijken.