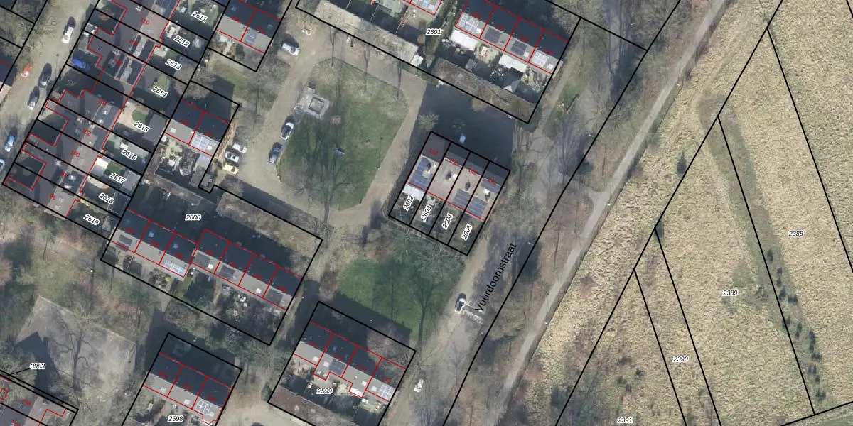
Perceel: VSN02-H-2603

Adres bij perceel

Perceeloppervlakte & perceelomtrek

113 m2 - 54 m

Eigenaar van het perceel

Eigenaar opvragen

Kadastrale aanduiding

VSN02-H-2603 (Vaassen)

Postcode in perceel

    8171 XG

Type eigenaar

DIHsdRcRSNHLx ccVSPUpgrade naar KadastraleKaart Pro

Woning verkocht in 2017

Verkoopprijs opvragen

Google Street View

Bekijk op Street View

Download

Download DWG/DXF/Excel

Gerelateerde percelen

7fc57spvmyVOuYG7y8pJSWUpgrade naar KadastraleKaart Pro

Bebouwd/onbebouwd/water/groen

3mfUPsP j 9XvfYAFUpgrade naar KadastraleKaart Pro
Administratieve eenheden
1pizgl4uqHUpgrade naar KadastraleKaart Pro

Appartementsrechten

XK1qg96gy3BKfpe2j1rXUpgrade naar KadastraleKaart Pro

Vergunningverlenende instanties

On5Z FsT0CQa 0mdUpgrade naar KadastraleKaart Pro

Bedekking (BGT)

2FFYrHMco1IUpgrade naar KadastraleKaart Pro

Publiekrechtelijke beperkingen

aTbzmFYd8WlwnPUpgrade naar KadastraleKaart Pro

Grensnauwkeurigheid

v6qLQbWiRhK0Upgrade naar KadastraleKaart Pro

Coördinaten hoekpunten perceel

FVO7AUZuyndcBwOi guLUpgrade naar KadastraleKaart Pro

Hoogteligging

4 yb hozQIw8U sQdCn2d6 Upgrade naar KadastraleKaart Pro

Laatst gewijzigd

13/09/2010

Kadastrale kaart met maatvoering 59,95
Kadastrale kaart pakket 28,95

Percelen

Gebruik de zoekbalk of klik op een perceel om informatie over het perceel te bekijken.
Locatie
Meten
Lagen
Download