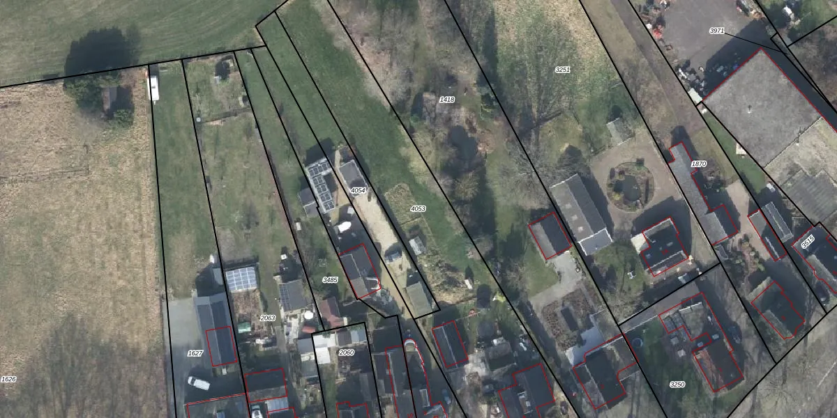
Perceel: VSN02-H-4053
2.095 m2 - 296 m
Eigenaar opvragen
VSN02-H-4053 (Vaassen)
- 8171 PN
AWYAfo27BXEm8EuRTanJhbCtPUpgrade naar KadastraleKaart Pro
Verkoopprijs opvragen
Bekijk op Street View
Download DWG/DXF/Excel
TOO HsmHVa3m4gZjF6vUpgrade naar KadastraleKaart Pro
KiW7PB1vXUpgrade naar KadastraleKaart Pro
RNKdysRAPPjHwsyYtUpgrade naar KadastraleKaart Pro
crqr Ci7Akc RUpgrade naar KadastraleKaart Pro
A8G yYLpjUpgrade naar KadastraleKaart Pro
dbdT6xQNR2NRUO2m23 Upgrade naar KadastraleKaart Pro
o xNuSbbqUpgrade naar KadastraleKaart Pro
Lt u3Ej2UtAslX mXnF6B7Upgrade naar KadastraleKaart Pro
S3jAEIP5 1Upgrade naar KadastraleKaart Pro
7efwN soJXVUpgrade naar KadastraleKaart Pro
18/10/2018

Percelen
Gebruik de zoekbalk of klik op een perceel om informatie over het perceel te bekijken.