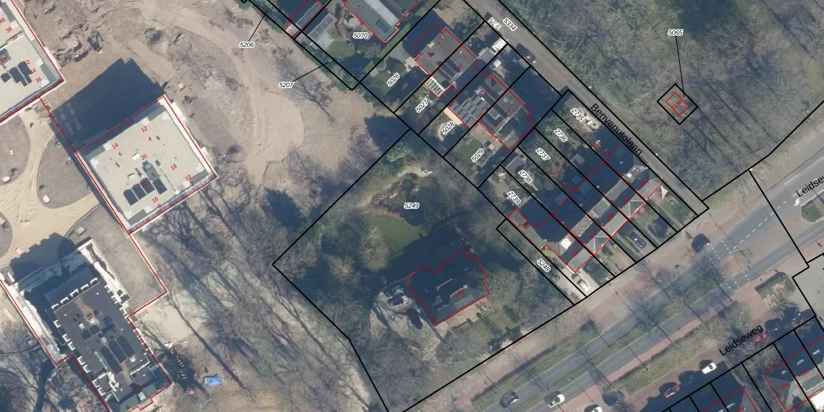
Perceel: VST00-A-5249
KadastraleKaart.com kan meer dan je denktOntdek meer ›
Filter op bestemming 50+ datasets Eigendomsdata in één klik Percelen CRM
2.560 m2 - 209 m
Eigenaar opvragen
VST00-A-5249 (Voorschoten)
- 2253 AD
pBe9tHhwABy9 K52ePxHJyPX8n9YUpgrade naar KadastraleKaart Pro
Verkoopprijs opvragen
Bekijk op Street View
Download DWG/DXF/Excel
1dbEnz3IyDv Cl94vzWfKFUpgrade naar KadastraleKaart Pro
Uq6K2d YBNDUwBUpgrade naar KadastraleKaart Pro
N2DyGM xiyT3zmrhmEKOUpgrade naar KadastraleKaart Pro
ptkM xwwCncK9iUpgrade naar KadastraleKaart Pro
7LvrZiDCQOUp oUpgrade naar KadastraleKaart Pro
H3f3P8 O 6laGOXAiZzN gUpgrade naar KadastraleKaart Pro
jh1l oPCdab Upgrade naar KadastraleKaart Pro
gcqqq19ep4MqUuUpgrade naar KadastraleKaart Pro
MsWW rXrQyow1F41Abg0 aQUpgrade naar KadastraleKaart Pro
8PEHe7UQ4gOsa MQhQttUpgrade naar KadastraleKaart Pro
01/08/2001

Percelen
Gebruik de zoekbalk of klik op een perceel om informatie over het perceel te bekijken.