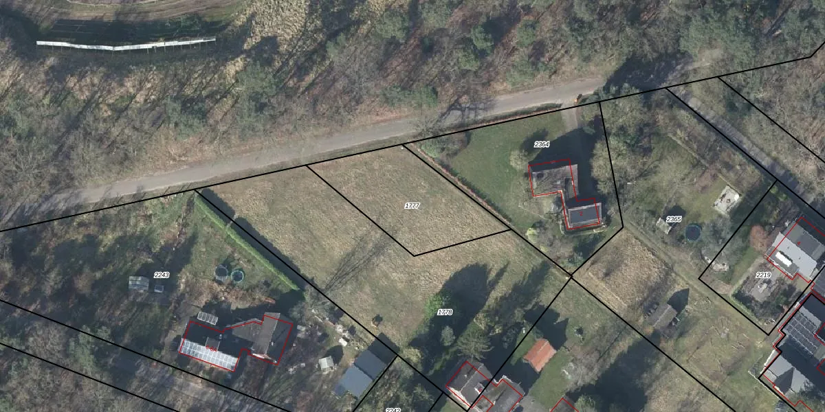
Perceel: VSV00-A-1777

Adres bij perceel

Geen adressen bij dit perceel

Perceeloppervlakte & perceelomtrek

580 m2 - 116 m

Eigenaar van het perceel

Eigenaar opvragen

Kadastrale aanduiding

VSV00-A-1777 (Varsseveld)

Postcode in perceel

    Geen postcode aanwezig

Type eigenaar

y3unoDUYE9c5yQPf T yoOZrsPUpgrade naar KadastraleKaart Pro

Google Street View

Bekijk op Street View

Download

Download DWG/DXF/Excel

Gerelateerde percelen

H50 nyURmUpgrade naar KadastraleKaart Pro

Bebouwd/onbebouwd/water/groen

HQAlYbk 4Upgrade naar KadastraleKaart Pro
Administratieve eenheden
CaQN56qORaUpgrade naar KadastraleKaart Pro

Appartementsrechten

WP4WQtA zAAXpMo2XbWFDCUpgrade naar KadastraleKaart Pro

Vergunningverlenende instanties

5BBELB jyGv0H uurpeHOUpgrade naar KadastraleKaart Pro

Bedekking (BGT)

XFHSSjqmpQkjmaA WUpgrade naar KadastraleKaart Pro

Publiekrechtelijke beperkingen

0VJv4cV6gmi3X3RSOpUpgrade naar KadastraleKaart Pro

Grensnauwkeurigheid

mlhjOZbHceUpgrade naar KadastraleKaart Pro

Coördinaten hoekpunten perceel

cp L8m0FsIw Upgrade naar KadastraleKaart Pro

Hoogteligging

NGQWC1pqgIDmL2s2u5JUpgrade naar KadastraleKaart Pro

Laatst gewijzigd

04/04/2008

Kadastrale kaart met maatvoering 59,95
Kadastrale kaart pakket 28,95

Percelen

Gebruik de zoekbalk of klik op een perceel om informatie over het perceel te bekijken.
Locatie
Meten
Lagen
Download