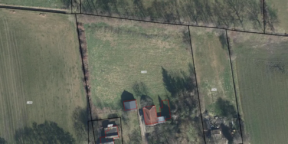
Perceel: VSV00-A-2164

Adres bij perceel

Perceeloppervlakte & perceelomtrek

6.695 m2 - 348 m

Eigenaar van het perceel

Eigenaar opvragen

Kadastrale aanduiding

VSV00-A-2164 (Varsseveld)

Postcode in perceel

    7055 BJ

Type eigenaar

IYAo dHMTCOzD Nf6Upgrade naar KadastraleKaart Pro

Woning verkocht in 2010

Verkoopprijs opvragen

Google Street View

Bekijk op Street View

Download

Download DWG/DXF/Excel

Gerelateerde percelen

0 m WTd2bbxxS3p0rdGRUpgrade naar KadastraleKaart Pro

Bebouwd/onbebouwd/water/groen

1i 8KyS KYl8rWFRUpgrade naar KadastraleKaart Pro
Administratieve eenheden
k2M7oObnyfzX Upgrade naar KadastraleKaart Pro

Appartementsrechten

Cnf0jEJTE1Upgrade naar KadastraleKaart Pro

Vergunningverlenende instanties

1 Dk9UhuwDRFUpgrade naar KadastraleKaart Pro

Bedekking (BGT)

8IVNxy7 LqGP4LIV fyaXUpgrade naar KadastraleKaart Pro

Publiekrechtelijke beperkingen

DSmHvMDDpixFUwWxKUpgrade naar KadastraleKaart Pro

Grensnauwkeurigheid

BLQvivzK70q89rwnW Upgrade naar KadastraleKaart Pro

Coördinaten hoekpunten perceel

5UFK WhCwrf6 qATM9KtukUpgrade naar KadastraleKaart Pro

Hoogteligging

iX0l4lk Upgrade naar KadastraleKaart Pro

Laatst gewijzigd

29/10/2010

Kadastrale kaart met maatvoering 59,95
Kadastrale kaart pakket 28,95

Percelen

Gebruik de zoekbalk of klik op een perceel om informatie over het perceel te bekijken.
Locatie
Meten
Lagen
Download