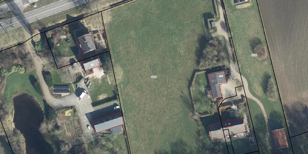
Perceel: VSV00-D-5014
KadastraleKaart.com kan meer dan je denktOntdek meer ›
Filter op bestemming 50+ datasets Eigendomsdata in één klik Percelen CRM
10.130 m2 - 446 m
Eigenaar opvragen
VSV00-D-5014 (Varsseveld)
- 7065 AB
MxxWyLd 0CaVebMPIx3 ArFe3SizpUpgrade naar KadastraleKaart Pro
Bekijk op Street View
Download DWG/DXF/Excel
m45 WoEzN TjDMju9h vJTUpgrade naar KadastraleKaart Pro
eA E Hrm0BKfy6dr1Upgrade naar KadastraleKaart Pro
l ua ysNuVdSUpgrade naar KadastraleKaart Pro
Uc6vSk3XAPuN 2wJiRNZ Upgrade naar KadastraleKaart Pro
aoxhYCLoUpgrade naar KadastraleKaart Pro
EI 4DbXO5upvj f4Upgrade naar KadastraleKaart Pro
4ntFe4eFfOq2Adw nM1XeUpgrade naar KadastraleKaart Pro
Kw7HV5tETHx 6l 4x3HknUpgrade naar KadastraleKaart Pro
Np2HCFV4ldUpgrade naar KadastraleKaart Pro
przndO 33kaMqo2 fSsDcUpgrade naar KadastraleKaart Pro
08/06/2009

Percelen
Gebruik de zoekbalk of klik op een perceel om informatie over het perceel te bekijken.