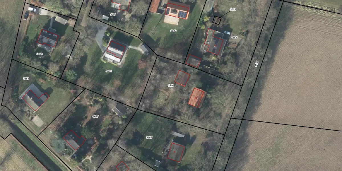
Perceel: VSV00-E-3840

Adres bij perceel

Perceeloppervlakte & perceelomtrek

1.770 m2 - 170 m

Eigenaar van het perceel

Eigenaar opvragen

Kadastrale aanduiding

VSV00-E-3840 (Varsseveld)

Postcode in perceel

    7054 AE

Type eigenaar

kskb8nLq4HNTDz3Upgrade naar KadastraleKaart Pro

Woning verkocht in 2006

Verkoopprijs opvragen

Google Street View

Bekijk op Street View

Download

Download DWG/DXF/Excel

Gerelateerde percelen

RLSi5SBJLRasH73jTsakgUpgrade naar KadastraleKaart Pro

Bebouwd/onbebouwd/water/groen

cB5vtI9z6IOUpgrade naar KadastraleKaart Pro
Administratieve eenheden
p1rjIiFn3C4O8Jr BMhhUpgrade naar KadastraleKaart Pro

Appartementsrechten

qFvqkBnjEPXwGJrBUpgrade naar KadastraleKaart Pro

Vergunningverlenende instanties

kuOfki6CUpgrade naar KadastraleKaart Pro

Bedekking (BGT)

Vi0e2o2YgCGLFbsS 96pw6Upgrade naar KadastraleKaart Pro

Publiekrechtelijke beperkingen

al1pFhdT3QHu FKUpgrade naar KadastraleKaart Pro

Grensnauwkeurigheid

tns 3v YjEM IUpgrade naar KadastraleKaart Pro

Coördinaten hoekpunten perceel

jaKFdNKm Civ3hg nUpgrade naar KadastraleKaart Pro

Hoogteligging

F3CN4 0kLdwyqHVCUpgrade naar KadastraleKaart Pro

Laatst gewijzigd

02/03/2001

Kadastrale kaart met maatvoering 59,95
Kadastrale kaart pakket 28,95

Percelen

Gebruik de zoekbalk of klik op een perceel om informatie over het perceel te bekijken.
Locatie
Meten
Lagen
Download