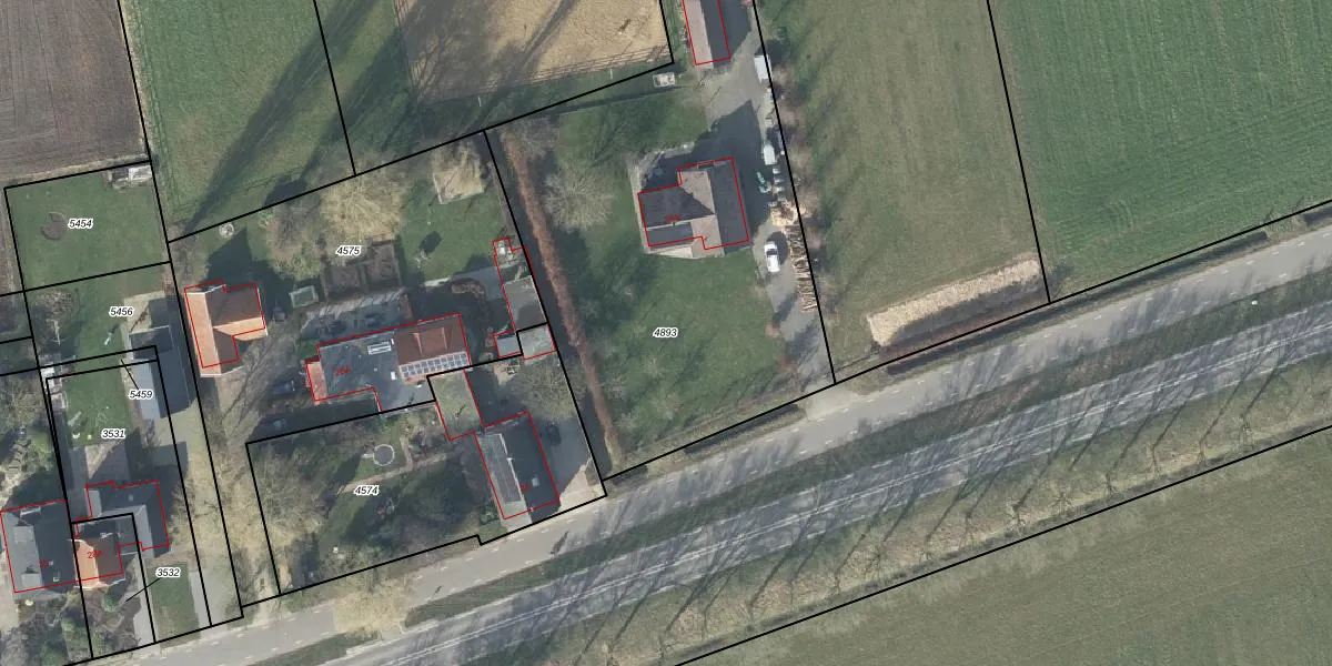
Perceel: VSV00-E-4893
KadastraleKaart.com kan meer dan je denktOntdek meer ›
Filter op bestemming 50+ datasets Eigendomsdata in één klik Percelen CRM
2.500 m2 - 234 m
Eigenaar opvragen
VSV00-E-4893 (Varsseveld)
- 7054 AA
wE4AMCC 993F0 YoTIWV YcBuBUpgrade naar KadastraleKaart Pro
Verkoopprijs opvragen
Bekijk op Street View
Download DWG/DXF/Excel
2x9oisp5 4eQPtUJa9DNJsUpgrade naar KadastraleKaart Pro
18NfQZz2JwR2FNCUpgrade naar KadastraleKaart Pro
9mVpZT5FAAUpgrade naar KadastraleKaart Pro
wRjn9Uk RypLT6tVg3 8Upgrade naar KadastraleKaart Pro
w7t W13xxjj4T9Upgrade naar KadastraleKaart Pro
gRZEGJiCbrumKUpgrade naar KadastraleKaart Pro
ECAc KEXN WJO35XaRUst4Upgrade naar KadastraleKaart Pro
8 rIZeLSBUpgrade naar KadastraleKaart Pro
iVFAZLQFHkGUpgrade naar KadastraleKaart Pro
vN5tkSxevQYL tM1ttUpgrade naar KadastraleKaart Pro
26/02/2008

Percelen
Gebruik de zoekbalk of klik op een perceel om informatie over het perceel te bekijken.