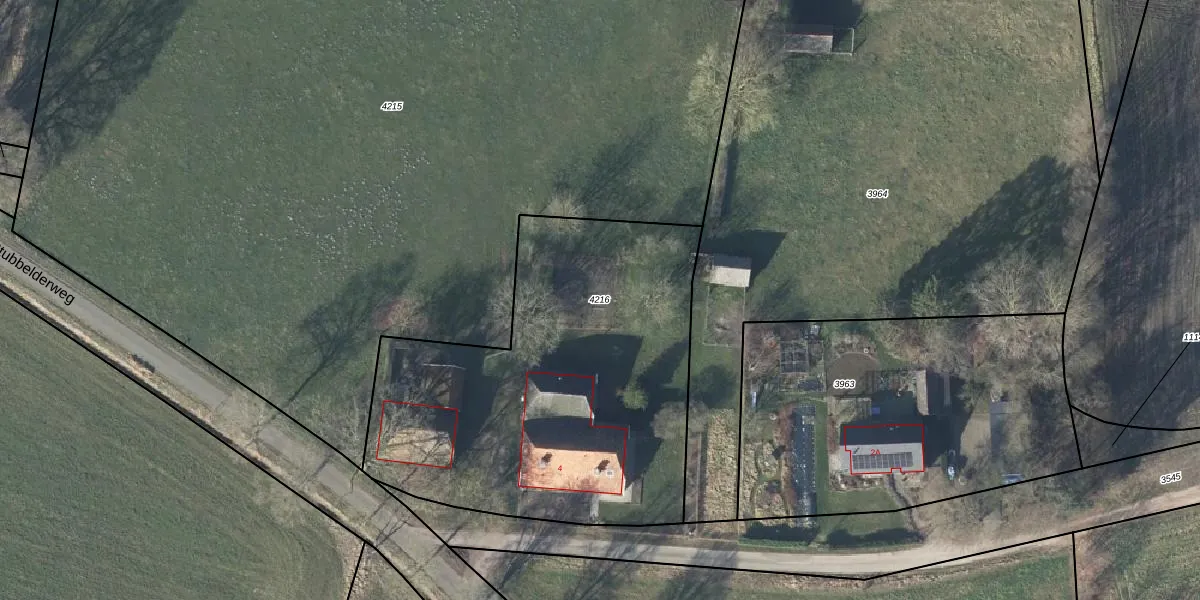
Perceel: VSV00-F-4216
2.120 m2 - 202 m
Eigenaar opvragen
VSV00-F-4216 (Varsseveld)
- 7054 CG
BBAkl YE8YRWdMFUSffeUpgrade naar KadastraleKaart Pro
Bekijk op Street View
Download DWG/DXF/Excel
THc6sjSP8DdA4rUpgrade naar KadastraleKaart Pro
4 sJgOskTUpgrade naar KadastraleKaart Pro
LkBggOXoUpgrade naar KadastraleKaart Pro
o9o hArt91XzurOHNoM Upgrade naar KadastraleKaart Pro
NZD5Cun2Pet4SUpgrade naar KadastraleKaart Pro
t wJl zznUpgrade naar KadastraleKaart Pro
KCmKLcYW8FnkUpgrade naar KadastraleKaart Pro
Mef a8ByOcel1 efIePxaEUpgrade naar KadastraleKaart Pro
F bUfkKwGg RP5whcZDw3MUpgrade naar KadastraleKaart Pro
zpGaf4qLAImUpgrade naar KadastraleKaart Pro
07/10/2025

Percelen
Gebruik de zoekbalk of klik op een perceel om informatie over het perceel te bekijken.