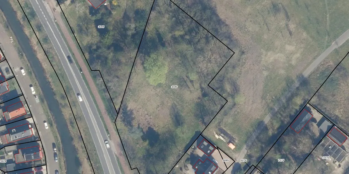
Perceel: VTN00-F-3046
KadastraleKaart.com kan meer dan je denktOntdek meer ›
Filter op bestemming 50+ datasets Eigendomsdata in één klik Percelen CRM
Geen adressen bij dit perceel
4.385 m2 - 294 m
Eigenaar opvragen
VTN00-F-3046 (Vleuten)
- Geen postcode aanwezig
acb2QBA dzutrPMQ dGGpHx W5fUpgrade naar KadastraleKaart Pro
Bekijk op Street View
Download DWG/DXF/Excel
RL7FqnA 5x3fSbJCq6CCgUpgrade naar KadastraleKaart Pro
8Zst NwRbUpgrade naar KadastraleKaart Pro
zyQX6JtG Upgrade naar KadastraleKaart Pro
n0 FEAPpxjP4lFNYkUpgrade naar KadastraleKaart Pro
3J7paRKRUpgrade naar KadastraleKaart Pro
oW7I30qaff 7dpr N4KOOUpgrade naar KadastraleKaart Pro
UuoBcJUbf05Upgrade naar KadastraleKaart Pro
T7kWmKbM3B2tBuK u6EcI4zUpgrade naar KadastraleKaart Pro
O4T7WIPiXvX45zXeUpgrade naar KadastraleKaart Pro
14Cz r3OnL6Oja443 feh FUpgrade naar KadastraleKaart Pro
25/02/2015

Percelen
Gebruik de zoekbalk of klik op een perceel om informatie over het perceel te bekijken.