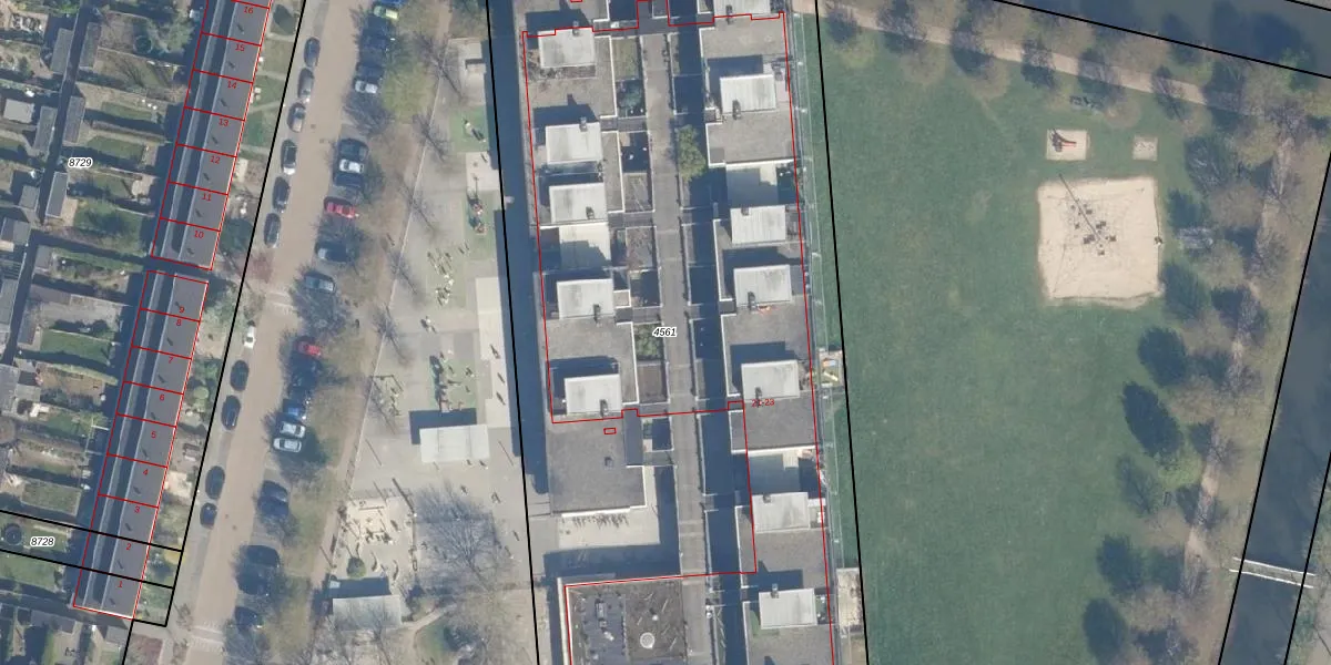
Perceel: VTN00-F-4561
KadastraleKaart.com kan meer dan je denktOntdek meer ›
Filter op bestemming 50+ datasets Eigendomsdata in één klik Percelen CRM
5.735 m2 - 351 m
Eigenaar opvragen
VTN00-F-4561 (Vleuten)
- 3451 VH -3451 VJ -3451 VD
Sb5AkoyedvoYL1J3CbCFUpgrade naar KadastraleKaart Pro
Verkoopprijs opvragen
Bekijk op Street View
Download DWG/DXF/Excel
wjadUPBJm T6EXQwa4EZUpgrade naar KadastraleKaart Pro
AS kzSOyUpgrade naar KadastraleKaart Pro
1wI9K u9vHo5Upgrade naar KadastraleKaart Pro
DlBsLUN7JaUpgrade naar KadastraleKaart Pro
1NCEtKOmPP4 GDZmCkpUpgrade naar KadastraleKaart Pro
PHNmt DsP2UUpgrade naar KadastraleKaart Pro
VHgrhvd 4f7x5EJRFN iJ1AUpgrade naar KadastraleKaart Pro
4MYWB16O 08Upgrade naar KadastraleKaart Pro
WU ydBHl1k1DbH3 wEaUpgrade naar KadastraleKaart Pro
3vTWN12FKUpgrade naar KadastraleKaart Pro
08/07/2008

Percelen
Gebruik de zoekbalk of klik op een perceel om informatie over het perceel te bekijken.