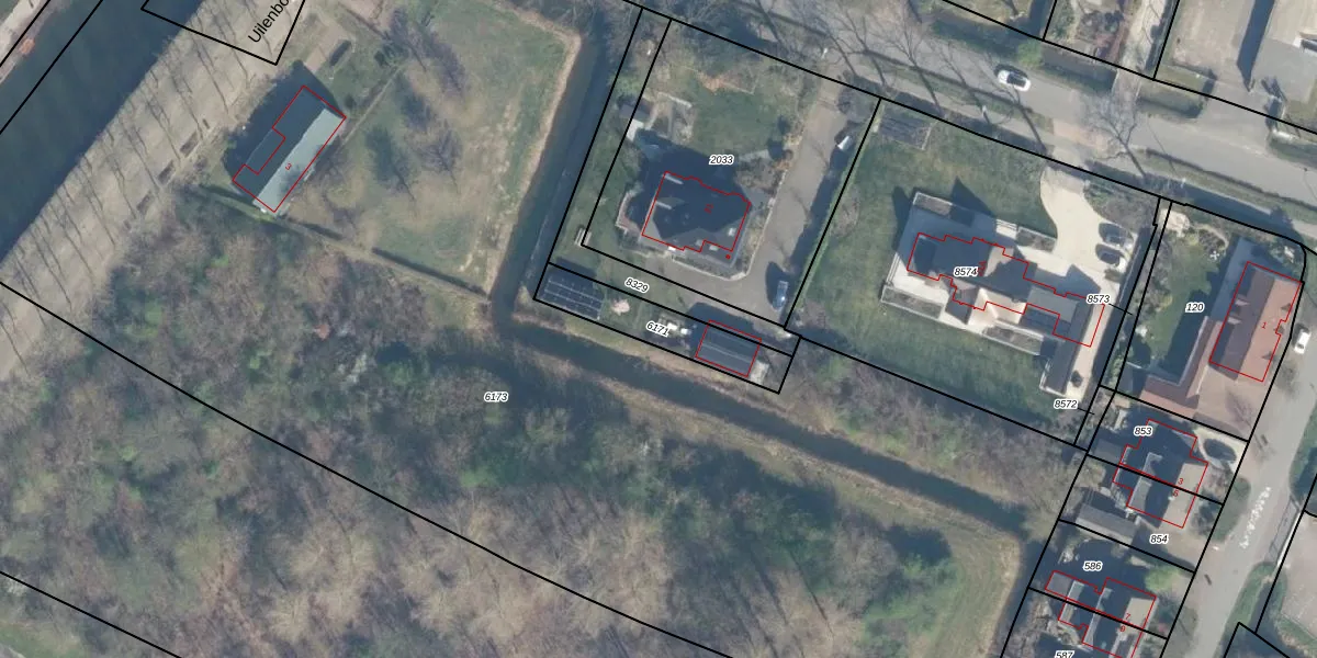
Perceel: VTN00-F-6171
KadastraleKaart.com kan meer dan je denktOntdek meer ›
Filter op bestemming 50+ datasets Eigendomsdata in één klik Percelen CRM
Geen adressen bij dit perceel
235 m2 - 92 m
Eigenaar opvragen
VTN00-F-6171 (Vleuten)
- Geen postcode aanwezig
kOGJNmwdq9BtcLGWp9kobUpgrade naar KadastraleKaart Pro
Bekijk op Street View
Download DWG/DXF/Excel
s4 MQ2LpLrP5Pu4YRmnWUpgrade naar KadastraleKaart Pro
eZFwOI6iWl OKpOzKbxplUpgrade naar KadastraleKaart Pro
Gbs cMo2jiBNamTOrGUpgrade naar KadastraleKaart Pro
nwM9hu Upgrade naar KadastraleKaart Pro
E 7a AnIXIUouUpgrade naar KadastraleKaart Pro
1pIihklWnV9GHf CfwjUpgrade naar KadastraleKaart Pro
iq JhYhAuwAp6 SpIjhUpgrade naar KadastraleKaart Pro
0MI57nIrkUpgrade naar KadastraleKaart Pro
z0XlzNvvN 9VHzaaNUeUpgrade naar KadastraleKaart Pro
rSlpbjGMUGd5njFRKrGzUpgrade naar KadastraleKaart Pro
27/05/2005

Percelen
Gebruik de zoekbalk of klik op een perceel om informatie over het perceel te bekijken.