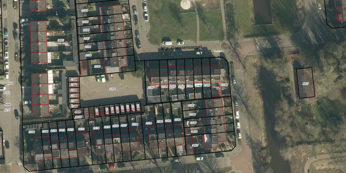
Perceel: VUG00-D-2193
KadastraleKaart.com kan meer dan je denktOntdek meer ›
Filter op bestemming 50+ datasets Eigendomsdata in één klik Percelen CRM
120 m2 - 59 m
Eigenaar opvragen
VUG00-D-2193 (Vught)
- 5262 SN
sP0ulpmrHIS bqjkVC22 n5OAEUpgrade naar KadastraleKaart Pro
Verkoopprijs opvragen
Bekijk op Street View
Download DWG/DXF/Excel
ywoWJJKCZX Upgrade naar KadastraleKaart Pro
F61QoLgB6U0bZHBIdwfKUpgrade naar KadastraleKaart Pro
3b CjMX0VYViwR3bUpgrade naar KadastraleKaart Pro
grO7rstrUpgrade naar KadastraleKaart Pro
5r7uNgJg5WW5NUpgrade naar KadastraleKaart Pro
EQ2GOAoUB15OTlUpgrade naar KadastraleKaart Pro
VBX9civRZUhJsuWh lKnmUpgrade naar KadastraleKaart Pro
f5X3v0 dxoFgSIUpgrade naar KadastraleKaart Pro
siRGttr oYdxtUpgrade naar KadastraleKaart Pro
9 pJcDhCBsM1EivLgEUpgrade naar KadastraleKaart Pro
13/12/2005

Percelen
Gebruik de zoekbalk of klik op een perceel om informatie over het perceel te bekijken.