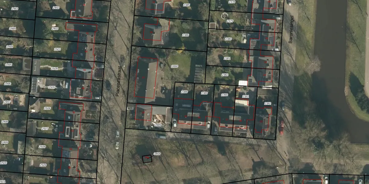
Perceel: VUG00-D-2388
294 m2 - 76 m
Eigenaar opvragen
VUG00-D-2388 (Vught)
- 5262 JG
URx5uT6 3TO GTT3tv0 OeNk0Upgrade naar KadastraleKaart Pro
Verkoopprijs opvragen
Bekijk op Street View
Download DWG/DXF/Excel
0iGLS3 qsxb09 c5bUpgrade naar KadastraleKaart Pro
ZpPZg71Mv06hYKXxbwBUpgrade naar KadastraleKaart Pro
7Ff37Gyi a d0lPMwrZUpgrade naar KadastraleKaart Pro
ywPNuh 1SW7vTkYqEN0Upgrade naar KadastraleKaart Pro
C N ZSO6 n Dr Upgrade naar KadastraleKaart Pro
IHiVRqypUpgrade naar KadastraleKaart Pro
mcd3swZGJSKgL MZyGkYa6FUpgrade naar KadastraleKaart Pro
a3kNePfoLZPlksMn21yB2PUpgrade naar KadastraleKaart Pro
2zoUWoovJM Zyg6yrUpgrade naar KadastraleKaart Pro
YNYhYETz1Z1tx4EUpgrade naar KadastraleKaart Pro
29/11/2002

Percelen
Gebruik de zoekbalk of klik op een perceel om informatie over het perceel te bekijken.