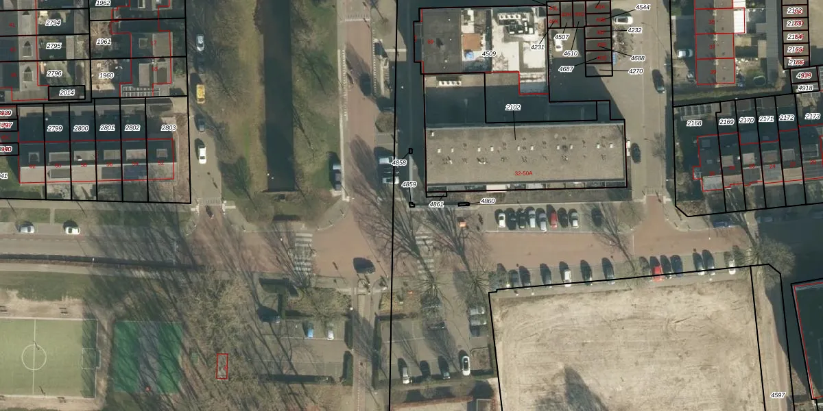
Perceel: VUG00-D-4859
Geen adressen bij dit perceel
1 m2 - 4 m
Eigenaar opvragen
VUG00-D-4859 (Vught)
- Geen postcode aanwezig
sGLsWX5nbzvTWFzNvUpgrade naar KadastraleKaart Pro
Bekijk op Street View
Download DWG/DXF/Excel
imcZIDZsXIjADKNBWmZcUpgrade naar KadastraleKaart Pro
9dwVd yIzrlUpgrade naar KadastraleKaart Pro
lEXd1 ltm97Eni2Upgrade naar KadastraleKaart Pro
kRIxbe6vHb5zVAjP8VmMUpgrade naar KadastraleKaart Pro
Hdj9 ZgW nJYUpgrade naar KadastraleKaart Pro
CN7pYdu26LE9Clc2LtUpgrade naar KadastraleKaart Pro
SJmbts I7ZmzYDQ9JaTnxfUpgrade naar KadastraleKaart Pro
8oXoGWhF6Upgrade naar KadastraleKaart Pro
k r9uefgB qYWJdl2pQhjUpgrade naar KadastraleKaart Pro
aIOAfhfuzZhUpgrade naar KadastraleKaart Pro
12/03/2014

Percelen
Gebruik de zoekbalk of klik op een perceel om informatie over het perceel te bekijken.