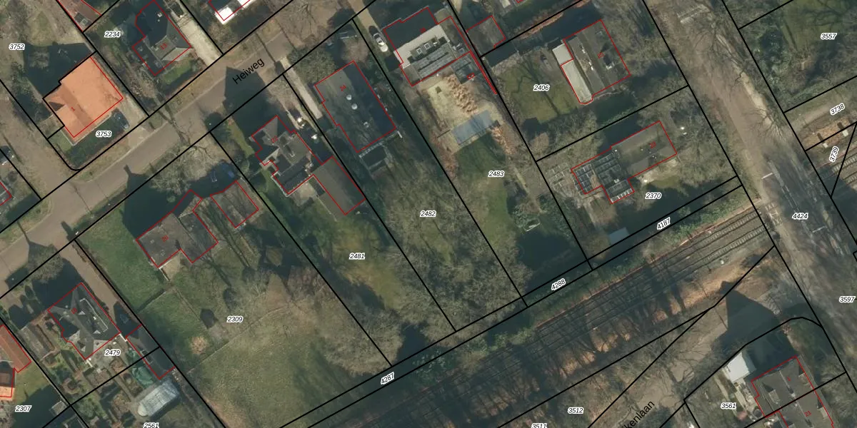
Perceel: VUG00-E-2482
KadastraleKaart.com kan meer dan je denktOntdek meer ›
Filter op bestemming 50+ datasets Eigendomsdata in één klik Percelen CRM
1.380 m2 - 187 m
Eigenaar opvragen
VUG00-E-2482 (Vught)
- 5263 GH
Gem7r6XJ wR7RxNd yOvAN2Av7xUpgrade naar KadastraleKaart Pro
Verkoopprijs opvragen
Bekijk op Street View
Download DWG/DXF/Excel
vnsSron4ldUpgrade naar KadastraleKaart Pro
I Sth2waMrR rvPL6gUpgrade naar KadastraleKaart Pro
P3EDSFfF Yct244XP4Upgrade naar KadastraleKaart Pro
d xzqARxr Yzhwc9 46PUpgrade naar KadastraleKaart Pro
MNP2 6RbST6E4eLBDdS5Upgrade naar KadastraleKaart Pro
3p6U7HPKKy Upgrade naar KadastraleKaart Pro
kVhI36oUUpgrade naar KadastraleKaart Pro
FQBHnCNPQvkzY B Upgrade naar KadastraleKaart Pro
Alz3fERjBZJhmjVRYUpgrade naar KadastraleKaart Pro
pcyZuELehomlaXsGJshXUpgrade naar KadastraleKaart Pro
12/03/2007

Percelen
Gebruik de zoekbalk of klik op een perceel om informatie over het perceel te bekijken.