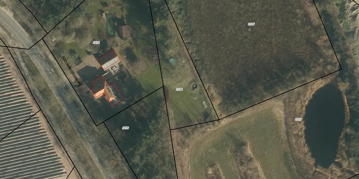
Perceel: VUG00-H-2106
KadastraleKaart.com kan meer dan je denktOntdek meer ›
Filter op bestemming 50+ datasets Eigendomsdata in één klik Percelen CRM
Geen adressen bij dit perceel
1.465 m2 - 214 m
Eigenaar opvragen
VUG00-H-2106 (Vught)
- Geen postcode aanwezig
5n 0vbCdiUm19pTXjpENaEzNoUpgrade naar KadastraleKaart Pro
Bekijk op Street View
Download DWG/DXF/Excel
3QPB 33GQY2hlWC viV8QUpgrade naar KadastraleKaart Pro
RcPBmPKx 2 qStlXIG8eNp3Upgrade naar KadastraleKaart Pro
i 68pp Ilzkah4 ec sUpgrade naar KadastraleKaart Pro
dM pzQwWYRdwiULCuUpgrade naar KadastraleKaart Pro
msGB FBHbRYyzvY Upgrade naar KadastraleKaart Pro
dJfNYND5Xt6tQajd h5nUpgrade naar KadastraleKaart Pro
CIROY2z 7XwB ak4Upgrade naar KadastraleKaart Pro
PcHlGatUL3tpSQzxLPRajRuUpgrade naar KadastraleKaart Pro
l1jo2rgkmAht Upgrade naar KadastraleKaart Pro
YNquuwW4N9NUpgrade naar KadastraleKaart Pro
19/04/2017

Percelen
Gebruik de zoekbalk of klik op een perceel om informatie over het perceel te bekijken.