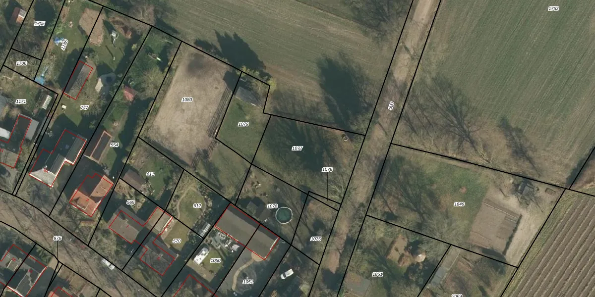
Perceel: VUG00-I-1077
KadastraleKaart.com kan meer dan je denktOntdek meer ›
Filter op bestemming 50+ datasets Eigendomsdata in één klik Percelen CRM
Geen adressen bij dit perceel
702 m2 - 109 m
Eigenaar opvragen
VUG00-I-1077 (Vught)
- Geen postcode aanwezig
5jrSQKoweNiBuhKB 2PUpgrade naar KadastraleKaart Pro
Bekijk op Street View
Download DWG/DXF/Excel
nirljq4P WiiL6PtVuJSjs6Upgrade naar KadastraleKaart Pro
gGYkbwQRWQrJt3RPftUpgrade naar KadastraleKaart Pro
4j5KVtlv fdXc4I7Upgrade naar KadastraleKaart Pro
I P 5p ZUzOt pOuO9 o8VcUpgrade naar KadastraleKaart Pro
MDFU pDOthl xH3mPajivdUpgrade naar KadastraleKaart Pro
M lUZE aXNUpgrade naar KadastraleKaart Pro
1Fk UzTUlIKuyhuMWQLkAhgUpgrade naar KadastraleKaart Pro
6YPljtJkUpgrade naar KadastraleKaart Pro
UZJzGCea2vlE FqV9 E Upgrade naar KadastraleKaart Pro
BYod y1GDMlf6y3h Upgrade naar KadastraleKaart Pro
12/04/2011

Percelen
Gebruik de zoekbalk of klik op een perceel om informatie over het perceel te bekijken.