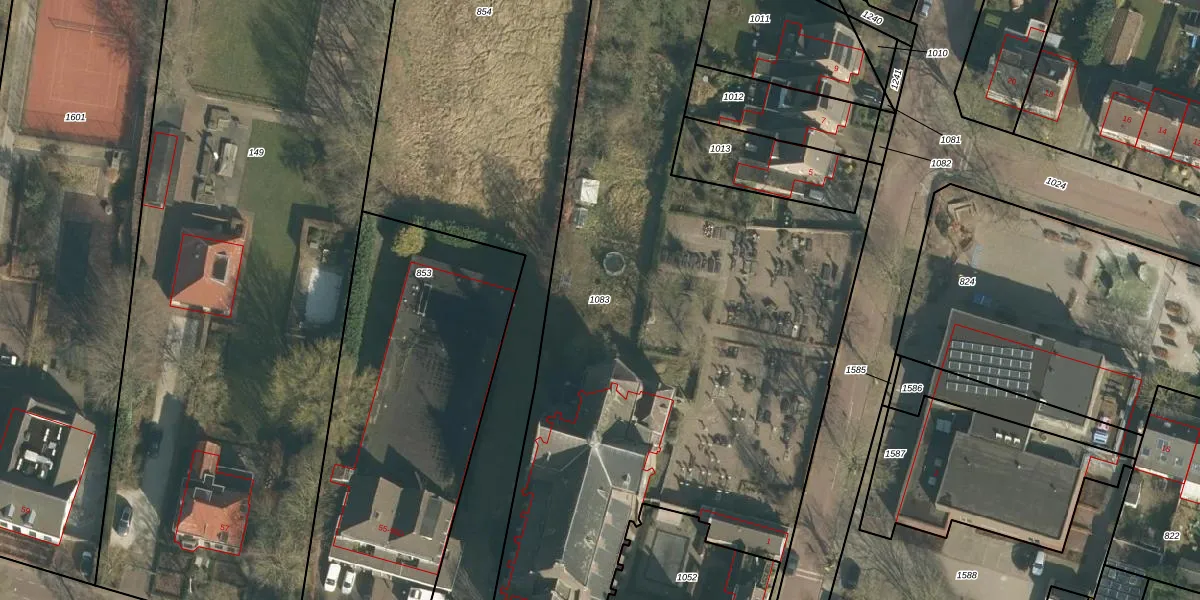
Perceel: VUG00-I-1083
KadastraleKaart.com kan meer dan je denktOntdek meer ›
Filter op bestemming 50+ datasets Eigendomsdata in één klik Percelen CRM
4.873 m2 - 544 m
Eigenaar opvragen
VUG00-I-1083 (Vught)
- 5266 BA -5266 AD
r Yods2 83RbtPmUdG TqkUpgrade naar KadastraleKaart Pro
Bekijk op Street View
Download DWG/DXF/Excel
Hs4 HpV829Cl 3Bqh4wfeSfUpgrade naar KadastraleKaart Pro
NiD W81t8ZUpgrade naar KadastraleKaart Pro
4SRcAnOZUpgrade naar KadastraleKaart Pro
H6wLTJBRWkDTyPsqoUpgrade naar KadastraleKaart Pro
vJ Ktb6AxBRHqQ Upgrade naar KadastraleKaart Pro
mnHrCPOPoUpgrade naar KadastraleKaart Pro
8Y TOZlpEBzxiUgCcUpgrade naar KadastraleKaart Pro
nJjANeyrM3LEYAZa3Upgrade naar KadastraleKaart Pro
YqoiswgH5pbDmQ h7Upgrade naar KadastraleKaart Pro
yyWfvSXjIUpgrade naar KadastraleKaart Pro
16/12/2008

Percelen
Gebruik de zoekbalk of klik op een perceel om informatie over het perceel te bekijken.