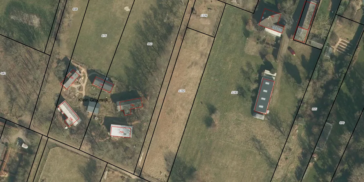
Perceel: VUG00-I-1192
KadastraleKaart.com kan meer dan je denktOntdek meer ›
Filter op bestemming 50+ datasets Eigendomsdata in één klik Percelen CRM
Geen adressen bij dit perceel
1.382 m2 - 206 m
Eigenaar opvragen
VUG00-I-1192 (Vught)
- Geen postcode aanwezig
4cRUOBGRm6c7JBCtNbc5hN ssUpgrade naar KadastraleKaart Pro
Bekijk op Street View
Download DWG/DXF/Excel
26kCEzEym8rmaoOX3Upgrade naar KadastraleKaart Pro
O7ylhPxhYeFUpgrade naar KadastraleKaart Pro
wkJ LN 5WUpgrade naar KadastraleKaart Pro
vfyHZE dP4nxFh WFnd AYUpgrade naar KadastraleKaart Pro
LlUKq2xN88z74ETBTDkUpgrade naar KadastraleKaart Pro
oC Mm9 NUpgrade naar KadastraleKaart Pro
5sFchLAn3 xNUpgrade naar KadastraleKaart Pro
wtXaPv8gJREiefTksK3lUpgrade naar KadastraleKaart Pro
TazewwQ Brc Upgrade naar KadastraleKaart Pro
84225KS5IwZUpgrade naar KadastraleKaart Pro
12/04/2011

Percelen
Gebruik de zoekbalk of klik op een perceel om informatie over het perceel te bekijken.