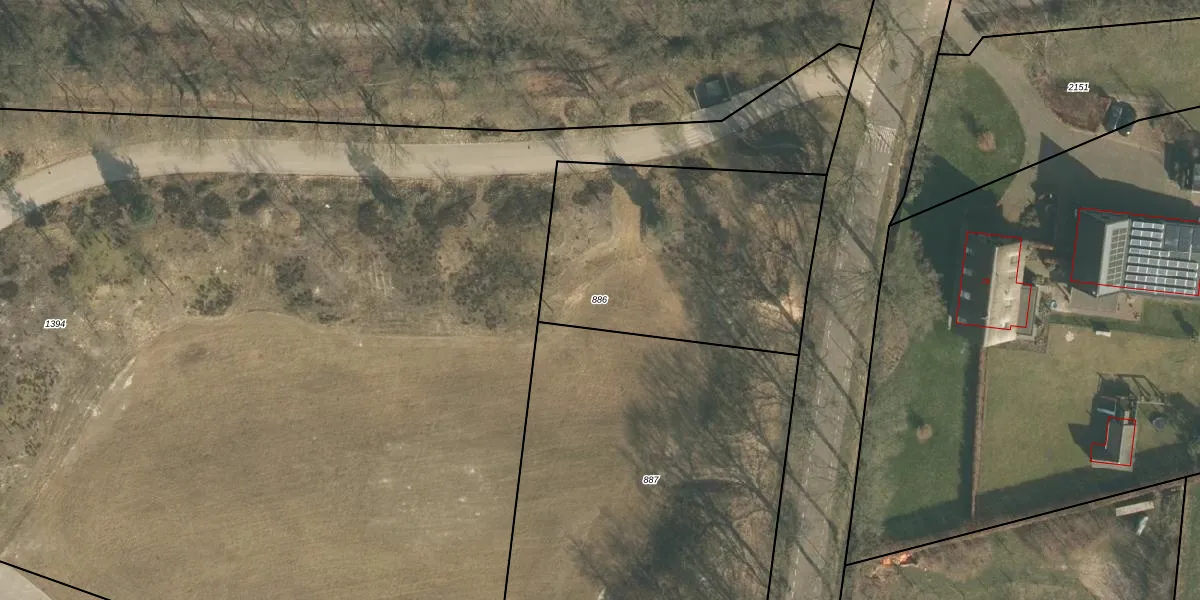
Perceel: VUG00-I-886
KadastraleKaart.com kan meer dan je denktOntdek meer ›
Filter op bestemming 50+ datasets Eigendomsdata in één klik Percelen CRM
Geen adressen bij dit perceel
1.270 m2 - 146 m
Eigenaar opvragen
VUG00-I-886 (Vught)
- Geen postcode aanwezig
pWoKd0ma 91M6pnHLyE6 Upgrade naar KadastraleKaart Pro
Bekijk op Street View
Download DWG/DXF/Excel
7A8nEqmjfyUpgrade naar KadastraleKaart Pro
o4V98XXIIuRUpgrade naar KadastraleKaart Pro
ICTISLx0yHUV0XWEet2xwUpgrade naar KadastraleKaart Pro
rNIW6n7VdcIkUpgrade naar KadastraleKaart Pro
eKUtJZKc3rqUpgrade naar KadastraleKaart Pro
8Ylck QY4tN3cwEyUpgrade naar KadastraleKaart Pro
DB1fDe NyAIIT8e1Upgrade naar KadastraleKaart Pro
e4xEstzzuf WDi2wsUpgrade naar KadastraleKaart Pro
QvrXbaOjGUpgrade naar KadastraleKaart Pro
gDHO3qWDc4 rUWVPDmfpV5 Upgrade naar KadastraleKaart Pro
22/08/2005

Percelen
Gebruik de zoekbalk of klik op een perceel om informatie over het perceel te bekijken.