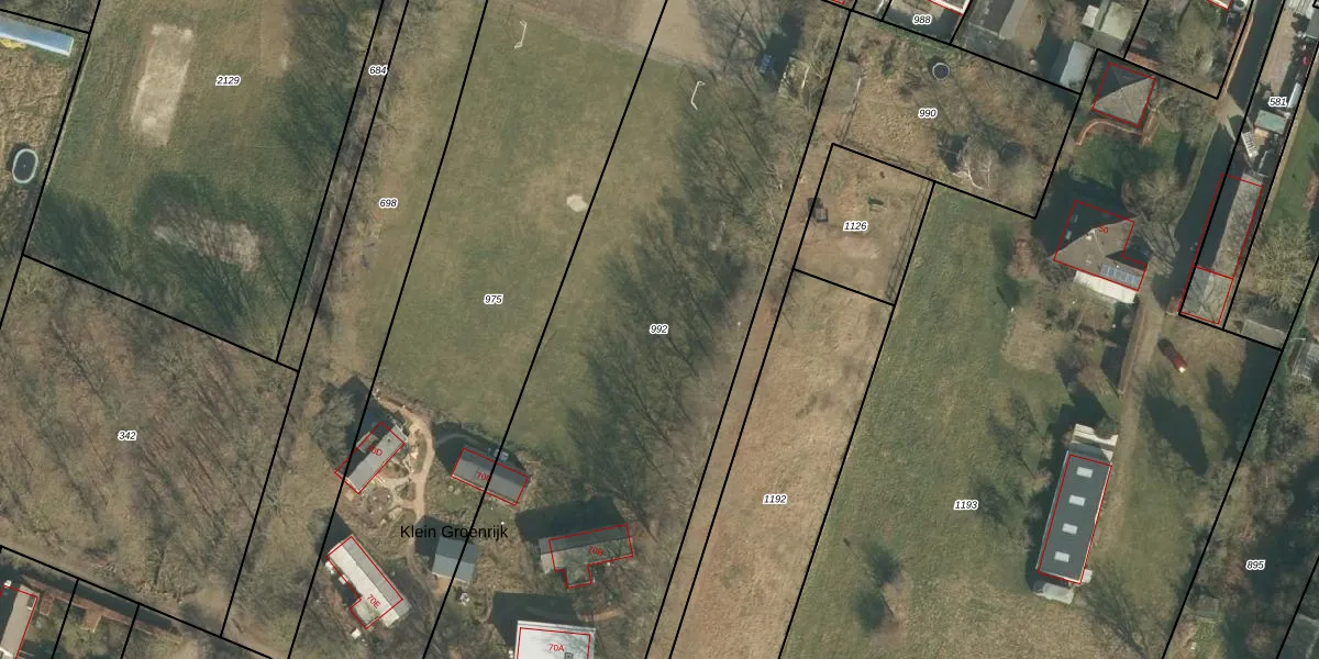
Perceel: VUG00-I-992
KadastraleKaart.com kan meer dan je denktOntdek meer ›
Filter op bestemming 50+ datasets Eigendomsdata in één klik Percelen CRM
3.688 m2 - 307 m
Eigenaar opvragen
VUG00-I-992 (Vught)
- 5266 AG
nXZub2yEtkJc2UY6Upgrade naar KadastraleKaart Pro
Bekijk op Street View
Download DWG/DXF/Excel
V9FHjpv3Upgrade naar KadastraleKaart Pro
jiR9m RheQXZ8bJOYOUpgrade naar KadastraleKaart Pro
8GBCSBFXAkSFbeOUpgrade naar KadastraleKaart Pro
YI2adIaP 0Upgrade naar KadastraleKaart Pro
aVoORCL5nhMOn aUpgrade naar KadastraleKaart Pro
yOYX55Rlv8MTAJ6b6Ub Upgrade naar KadastraleKaart Pro
Z9EcZIEUpgrade naar KadastraleKaart Pro
0hLtfIlMpUpgrade naar KadastraleKaart Pro
nKFshABS8B7BUpgrade naar KadastraleKaart Pro
36ytmD8GxlOZ8Upgrade naar KadastraleKaart Pro
12/08/2005

Percelen
Gebruik de zoekbalk of klik op een perceel om informatie over het perceel te bekijken.