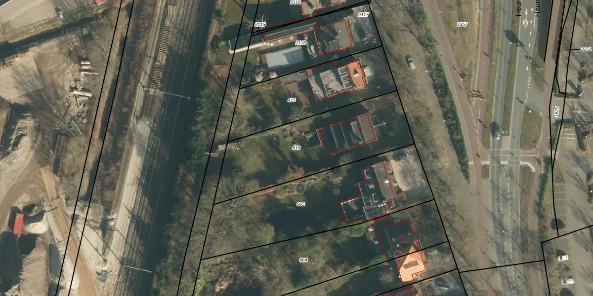
Perceel: VUG00-K-416
KadastraleKaart.com kan meer dan je denktOntdek meer ›
Filter op bestemming 50+ datasets Eigendomsdata in één klik Percelen CRM
1.252 m2 - 171 m
Eigenaar opvragen
VUG00-K-416 (Vught)
- 5261 AB
67 RsacAoiL5ds fWMvJY00EiUpgrade naar KadastraleKaart Pro
Verkoopprijs opvragen
Bekijk op Street View
Download DWG/DXF/Excel
06ovHEgE3refilUQzEbWdMUpgrade naar KadastraleKaart Pro
SiIW OVQNCbGDUpgrade naar KadastraleKaart Pro
c5ecJHaFtrmz4FbbMupUpgrade naar KadastraleKaart Pro
lfQtNSygQpUDtzcZVdMGDUpgrade naar KadastraleKaart Pro
2 9DdIJEfVddQepirUuyaLJUpgrade naar KadastraleKaart Pro
ByvzNOslTKc3QUpgrade naar KadastraleKaart Pro
EOcmqfVwxtvUpgrade naar KadastraleKaart Pro
l9x 9vNyNtzq8 y5Gp1TwUQUpgrade naar KadastraleKaart Pro
mk jMBGbA3y3Z9FUpgrade naar KadastraleKaart Pro
27gM VLTv 11qELDMrZGFvHUpgrade naar KadastraleKaart Pro
21/03/2012

Percelen
Gebruik de zoekbalk of klik op een perceel om informatie over het perceel te bekijken.