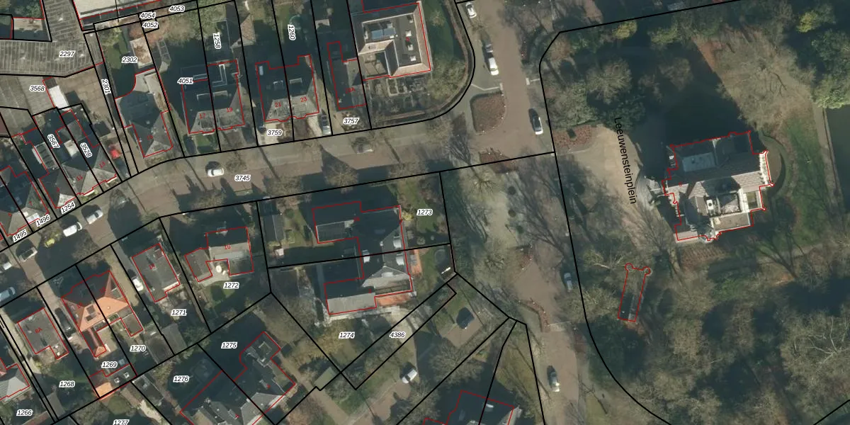
Perceel: VUG00-L-1273
KadastraleKaart.com kan meer dan je denktOntdek meer ›
Filter op bestemming 50+ datasets Eigendomsdata in één klik Percelen CRM
715 m2 - 120 m
Eigenaar opvragen
VUG00-L-1273 (Vught)
- 5261 ET
Tsbcncl Vv sCKzQBGmdUpgrade naar KadastraleKaart Pro
Verkoopprijs opvragen
Bekijk op Street View
Download DWG/DXF/Excel
mpvGFwoaUpgrade naar KadastraleKaart Pro
tzT5m4 dOinPU3ne35sUpgrade naar KadastraleKaart Pro
6L6YAWFpYPUpgrade naar KadastraleKaart Pro
omc ncy X9RiW1s 3kKUpgrade naar KadastraleKaart Pro
pF LlNdmzQ9 nQVljcUpgrade naar KadastraleKaart Pro
omhamG3 WvDcHGd vxUpgrade naar KadastraleKaart Pro
JRXFffWOJ mnz22utu0Upgrade naar KadastraleKaart Pro
obD9S uDg2ijvhMVRUpgrade naar KadastraleKaart Pro
hncV6d Ey9g Upgrade naar KadastraleKaart Pro
qU6YZ7cx6PU7 PUpgrade naar KadastraleKaart Pro
31/07/2008

Percelen
Gebruik de zoekbalk of klik op een perceel om informatie over het perceel te bekijken.