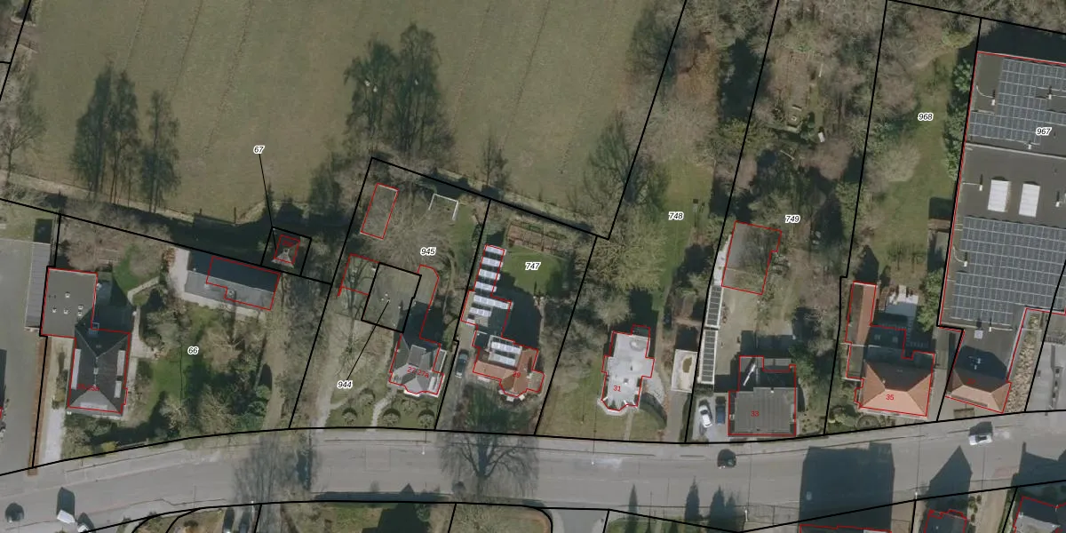
Perceel: VWD01-H-747
KadastraleKaart.com kan meer dan je denktOntdek meer ›
Filter op bestemming 50+ datasets Eigendomsdata in één klik Percelen CRM
807 m2 - 125 m
Eigenaar opvragen
VWD01-H-747 (Veenwouden)
- 9271 KE
FNyU1 TqXV7QI j9FDuuC5nDXUpgrade naar KadastraleKaart Pro
Bekijk op Street View
Download DWG/DXF/Excel
oxc NGjPUpgrade naar KadastraleKaart Pro
X4 9M qFhdNFFxyRSMUpgrade naar KadastraleKaart Pro
MtR 8kxgUYRU4byWq0xtMUpgrade naar KadastraleKaart Pro
fUrSf7xR1jUpgrade naar KadastraleKaart Pro
XWWz8J578xhYUpgrade naar KadastraleKaart Pro
GpH4kzP8r4BsfNrFt8Upgrade naar KadastraleKaart Pro
67AE4ApX ZprV4q2 Upgrade naar KadastraleKaart Pro
McXSMqk 0JEeod6HUpgrade naar KadastraleKaart Pro
XP9MFbsjV0hBUpgrade naar KadastraleKaart Pro
KI8I AGxGNiEXOrQnY Upgrade naar KadastraleKaart Pro
29/05/2006

Percelen
Gebruik de zoekbalk of klik op een perceel om informatie over het perceel te bekijken.