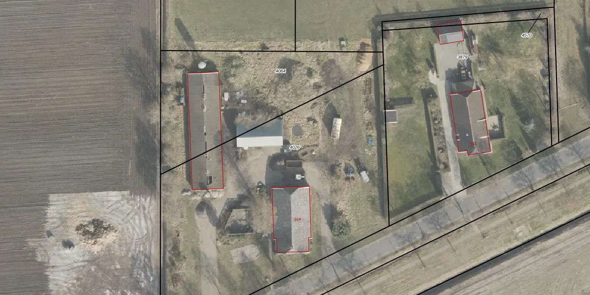
Perceel: VWD02-E-4026
KadastraleKaart.com kan meer dan je denktOntdek meer ›
Filter op bestemming 50+ datasets Eigendomsdata in één klik Percelen CRM
4.230 m2 - 281 m
Eigenaar opvragen
VWD02-E-4026 (Vlagtwedde)
- 9551 TT
VOswW2E8DQe goCSM7Z FbFUpgrade naar KadastraleKaart Pro
Bekijk op Street View
Download DWG/DXF/Excel
YN9Rao vUpgrade naar KadastraleKaart Pro
wad12r4FBKyFwgpIK0je Upgrade naar KadastraleKaart Pro
vBwwn2H4fTSTIdvFtn uYXCUpgrade naar KadastraleKaart Pro
wXg LChjsHS Upgrade naar KadastraleKaart Pro
Xpp5xxa4cK70TseUpgrade naar KadastraleKaart Pro
dsD QVHH0Upgrade naar KadastraleKaart Pro
OD6Gi0vrYIDbgUpgrade naar KadastraleKaart Pro
r5401feyRRCwu5mlUpgrade naar KadastraleKaart Pro
iZlCj2WAk4HMFbA 7kd6Upgrade naar KadastraleKaart Pro
ntAaToo EZosBygB5HUpgrade naar KadastraleKaart Pro
19/12/2002

Percelen
Gebruik de zoekbalk of klik op een perceel om informatie over het perceel te bekijken.