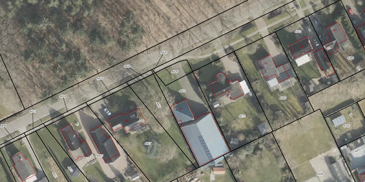
Perceel: VWD02-E-4421
KadastraleKaart.com kan meer dan je denktOntdek meer ›
Filter op bestemming 50+ datasets Eigendomsdata in één klik Percelen CRM
948 m2 - 152 m
Eigenaar opvragen
VWD02-E-4421 (Vlagtwedde)
- 9551 TN
fIpmIWr 4 NZmkYdanJoiOcbQ6fUpgrade naar KadastraleKaart Pro
Bekijk op Street View
Download DWG/DXF/Excel
rIqNbyUM9HsUpgrade naar KadastraleKaart Pro
NFq o OGj41OUpgrade naar KadastraleKaart Pro
synCdVZhZUpgrade naar KadastraleKaart Pro
vG4QhGuuHIzyxGsUpgrade naar KadastraleKaart Pro
i4M8KRXQcR6DXYe2ztbgUpgrade naar KadastraleKaart Pro
KwCzB9IxgUpgrade naar KadastraleKaart Pro
E qNaDOQ57 AlFUpgrade naar KadastraleKaart Pro
RrCq kK 6Zi9ofXWisb Upgrade naar KadastraleKaart Pro
1j1qQFugW8jBzRO4qUGyIgUpgrade naar KadastraleKaart Pro
YFTglFB2b4 0 s wYFqNyUpgrade naar KadastraleKaart Pro
22/06/1999

Percelen
Gebruik de zoekbalk of klik op een perceel om informatie over het perceel te bekijken.