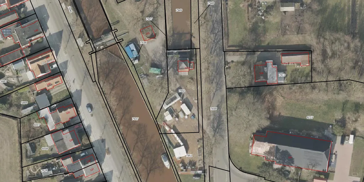
Perceel: VWD02-G-7950
KadastraleKaart.com kan meer dan je denktOntdek meer ›
Filter op bestemming 50+ datasets Eigendomsdata in één klik Percelen CRM
761 m2 - 131 m
Eigenaar opvragen
VWD02-G-7950 (Vlagtwedde)
- 9563 RG
rOgGtHkfXZ8PQcSLf50sXr4xUpgrade naar KadastraleKaart Pro
Bekijk op Street View
Download DWG/DXF/Excel
KEK4z8C09EbuUpgrade naar KadastraleKaart Pro
aYHCcN75 Vl2s8g6mi1fDUpgrade naar KadastraleKaart Pro
h b2 3 FTG Upgrade naar KadastraleKaart Pro
YYI CRa zWtdoW5mhc30Upgrade naar KadastraleKaart Pro
wd7MN9ScZq6Wv9VwswUpgrade naar KadastraleKaart Pro
xzCW1Tw0NUpgrade naar KadastraleKaart Pro
ocSHUgjrFYcUpgrade naar KadastraleKaart Pro
Ez AF sV OfK3fji GunUpgrade naar KadastraleKaart Pro
1 hSBGYUJzbheNiAzfJUpgrade naar KadastraleKaart Pro
r13TZKMHEbIf8uTRlG3XUpgrade naar KadastraleKaart Pro
04/05/1999

Percelen
Gebruik de zoekbalk of klik op een perceel om informatie over het perceel te bekijken.