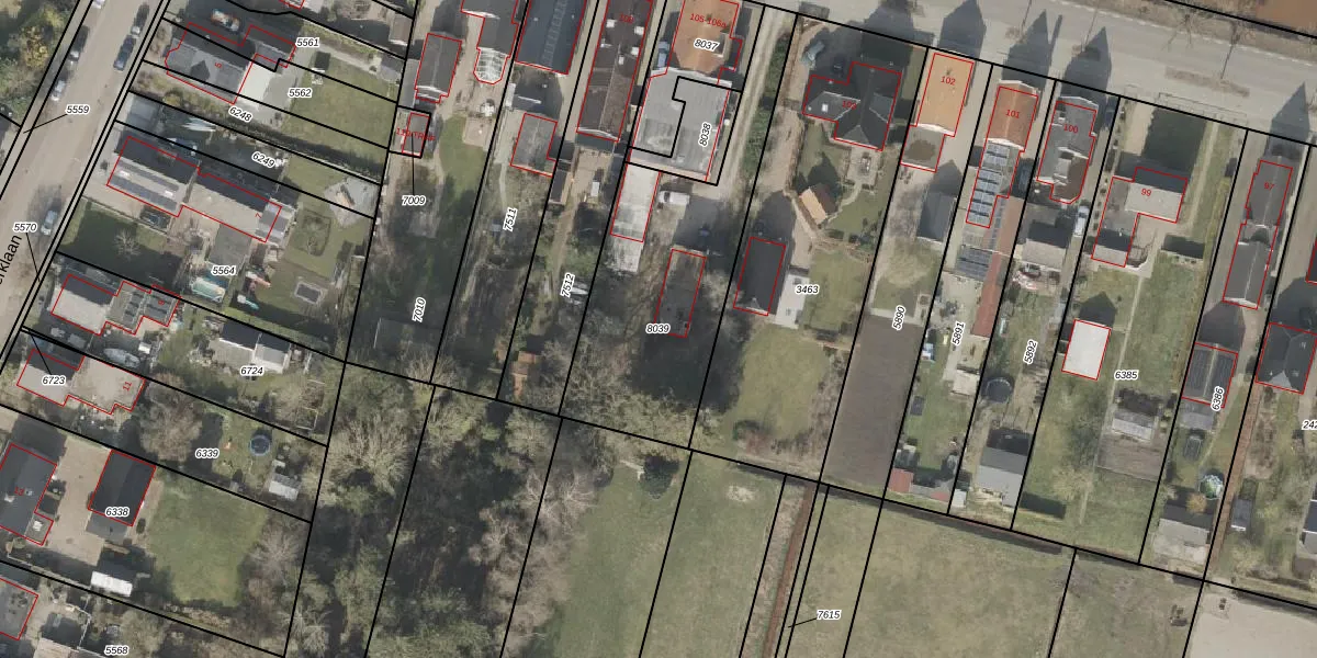
Perceel: VWD02-G-8039
KadastraleKaart.com kan meer dan je denktOntdek meer ›
Filter op bestemming 50+ datasets Eigendomsdata in één klik Percelen CRM
Geen adressen bij dit perceel
956 m2 - 177 m
Eigenaar opvragen
VWD02-G-8039 (Vlagtwedde)
- Geen postcode aanwezig
f7TgGeq8tOd ILekB35Upgrade naar KadastraleKaart Pro
Bekijk op Street View
Download DWG/DXF/Excel
DHgjAlzz3VojtflUpgrade naar KadastraleKaart Pro
nQ6WzMlgj7576F0LUpgrade naar KadastraleKaart Pro
h 7C EN0WUpgrade naar KadastraleKaart Pro
6LUqGIT3nUpgrade naar KadastraleKaart Pro
a MSiX Wn1klKXwbL2NfQ QUpgrade naar KadastraleKaart Pro
aKRmj g6QnvM99kUpgrade naar KadastraleKaart Pro
ZL6w6QR8ndvQh MEN5hMKa7Upgrade naar KadastraleKaart Pro
oYGPiHbMXJUrDOye4B4Upgrade naar KadastraleKaart Pro
vmttSMX8pigUpgrade naar KadastraleKaart Pro
NiwlQl6Ys4Iv X87Upgrade naar KadastraleKaart Pro
26/07/2006

Percelen
Gebruik de zoekbalk of klik op een perceel om informatie over het perceel te bekijken.