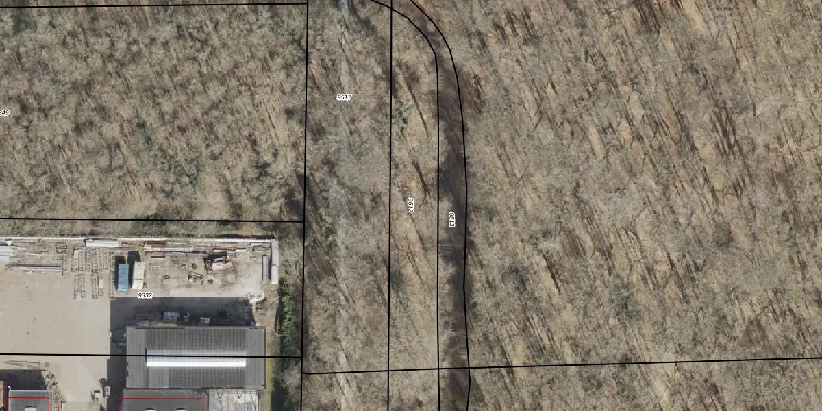
Perceel: VWD02-H-9512
KadastraleKaart.com kan meer dan je denktOntdek meer ›
Filter op bestemming 50+ datasets Eigendomsdata in één klik Percelen CRM
Geen adressen bij dit perceel
960 m2 - 193 m
Eigenaar opvragen
VWD02-H-9512 (Vlagtwedde)
- Geen postcode aanwezig
kq v7MsFxfd2tFGNE2TM5Upgrade naar KadastraleKaart Pro
Bekijk op Street View
Download DWG/DXF/Excel
a3keq 4B9fXzPFb cCSUpgrade naar KadastraleKaart Pro
ZZBJ aNQnHsuD FWENUpgrade naar KadastraleKaart Pro
pzCHNEhsL 6aoOG1JUpgrade naar KadastraleKaart Pro
M ffQA4iLb0evUpgrade naar KadastraleKaart Pro
5D33WG35I OjUpgrade naar KadastraleKaart Pro
NfhXYCDmkl6edoBx l C Upgrade naar KadastraleKaart Pro
rHYJCbHjq3DyGN D VlUpgrade naar KadastraleKaart Pro
VoNEqJ tkSayiuRUpgrade naar KadastraleKaart Pro
Sx99qTN7CDBKdulUpgrade naar KadastraleKaart Pro
PcjVlg2Upgrade naar KadastraleKaart Pro
15/10/2020

Percelen
Gebruik de zoekbalk of klik op een perceel om informatie over het perceel te bekijken.