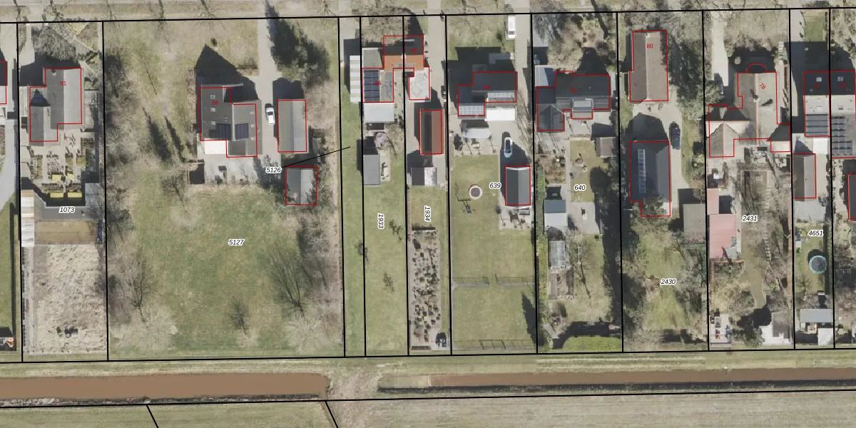
Perceel: VWD02-I-1934
KadastraleKaart.com kan meer dan je denktOntdek meer ›
Filter op bestemming 50+ datasets Eigendomsdata in één klik Percelen CRM
794 m2 - 179 m
Eigenaar opvragen
VWD02-I-1934 (Vlagtwedde)
- 9561 SG
KIEi9sCfg04lOC3sJnIQNozqUUpgrade naar KadastraleKaart Pro
Bekijk op Street View
Download DWG/DXF/Excel
hfFh2nd X1Upgrade naar KadastraleKaart Pro
rJjiFKoJlE23vUpgrade naar KadastraleKaart Pro
tQvOkcp2xYUpgrade naar KadastraleKaart Pro
S F AqqGCsUpgrade naar KadastraleKaart Pro
2y16vn2DGKhB1afNnPSqkumUpgrade naar KadastraleKaart Pro
EVEk sEINBiRWuAHUpgrade naar KadastraleKaart Pro
miCuN uGuuSIkteQ8jUpgrade naar KadastraleKaart Pro
SGWxLDRxyQ62KLIVY KuXUUpgrade naar KadastraleKaart Pro
Nnz7V V AldIfBUpgrade naar KadastraleKaart Pro
5 At PK41cZr5e KJUpgrade naar KadastraleKaart Pro
06/03/2007

Percelen
Gebruik de zoekbalk of klik op een perceel om informatie over het perceel te bekijken.