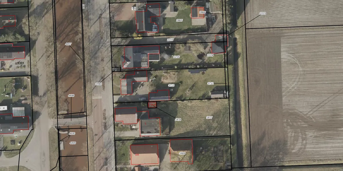
Perceel: VWD02-I-3713
KadastraleKaart.com kan meer dan je denktOntdek meer ›
Filter op bestemming 50+ datasets Eigendomsdata in één klik Percelen CRM
1.188 m2 - 168 m
Eigenaar opvragen
VWD02-I-3713 (Vlagtwedde)
- 9563 RA
iEXkJXBd JO VEi GPUpgrade naar KadastraleKaart Pro
Bekijk op Street View
Download DWG/DXF/Excel
f9whlY2P4salFiUpgrade naar KadastraleKaart Pro
hQ6vO RdL2pbGlLPJ8bUpgrade naar KadastraleKaart Pro
rJM7l4vT4jQ lyI 7aUpgrade naar KadastraleKaart Pro
MxcsUQ5FD 0BstJHCbePUpgrade naar KadastraleKaart Pro
a4Rb2LqWIgsAUpgrade naar KadastraleKaart Pro
NR0OlxC Upgrade naar KadastraleKaart Pro
WkX oan6YMGyaVT13Z4 DUpgrade naar KadastraleKaart Pro
Wt1S z7SAUpgrade naar KadastraleKaart Pro
W3I7C 8tUpgrade naar KadastraleKaart Pro
CiwuOItAr LBJACt6Upgrade naar KadastraleKaart Pro
22/09/1998

Percelen
Gebruik de zoekbalk of klik op een perceel om informatie over het perceel te bekijken.