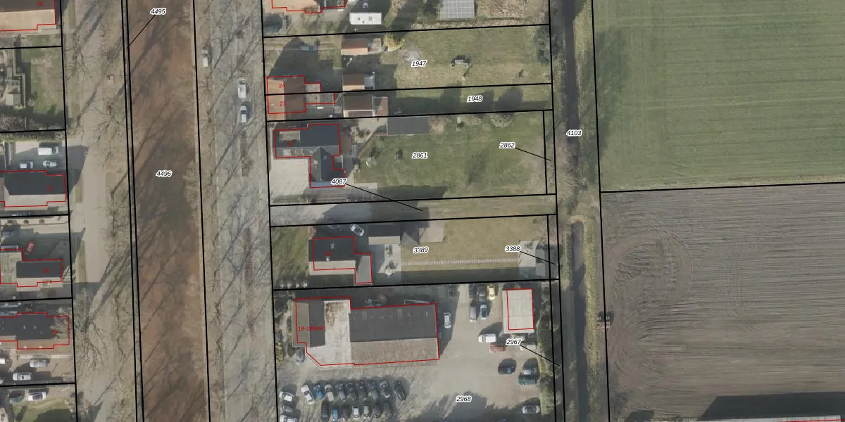
Perceel: VWD02-I-4087
KadastraleKaart.com kan meer dan je denktOntdek meer ›
Filter op bestemming 50+ datasets Eigendomsdata in één klik Percelen CRM
Geen adressen bij dit perceel
330 m2 - 146 m
Eigenaar opvragen
VWD02-I-4087 (Vlagtwedde)
- Geen postcode aanwezig
oXzJc4 BKCIh4aDUNI440Oj BUpgrade naar KadastraleKaart Pro
Bekijk op Street View
Download DWG/DXF/Excel
oVx tPpWV7PUpgrade naar KadastraleKaart Pro
R9LnCtrwlz54Mr8YE19hxHUpgrade naar KadastraleKaart Pro
n mX76sVti8gWjRjdEVUpgrade naar KadastraleKaart Pro
Q I4oEaDUpgrade naar KadastraleKaart Pro
StX5atIKahFC A9GIvRUpgrade naar KadastraleKaart Pro
00G763znuBvVzMZdYm2H3 pUpgrade naar KadastraleKaart Pro
bEC33N1bz0ddfmRwkSUpgrade naar KadastraleKaart Pro
7WIFNmMUEQ L9CbUpgrade naar KadastraleKaart Pro
ezfBSy10XA9NvmUpgrade naar KadastraleKaart Pro
LPpuXWUDM2lWlVQcWxFntEUpgrade naar KadastraleKaart Pro
22/09/1998

Percelen
Gebruik de zoekbalk of klik op een perceel om informatie over het perceel te bekijken.