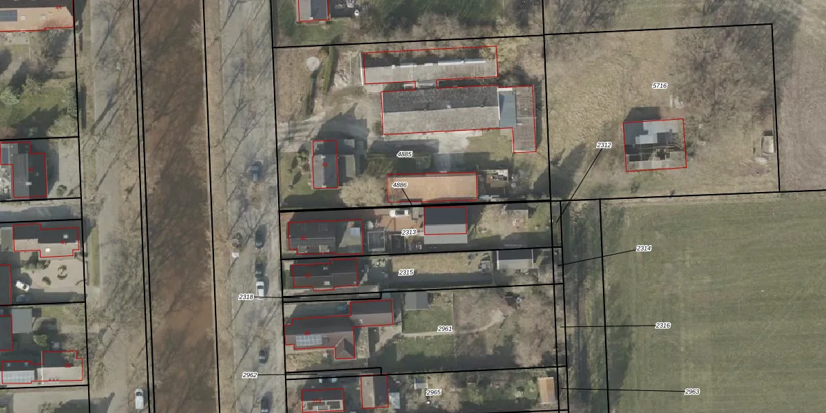
Perceel: VWD02-I-4886
KadastraleKaart.com kan meer dan je denktOntdek meer ›
Filter op bestemming 50+ datasets Eigendomsdata in één klik Percelen CRM
Geen adressen bij dit perceel
17 m2 - 132 m
Eigenaar opvragen
VWD02-I-4886 (Vlagtwedde)
- Geen postcode aanwezig
BhOs4JNLZhrRStI8EB LT617XAzW0S6Upgrade naar KadastraleKaart Pro
Bekijk op Street View
Download DWG/DXF/Excel
xaFs2I3YO cIcyqhMLUpgrade naar KadastraleKaart Pro
3zx MGCduDW2uP5qNZJpoUpgrade naar KadastraleKaart Pro
uwWP56fUpgrade naar KadastraleKaart Pro
9 hhPZzZvEc0pK Upgrade naar KadastraleKaart Pro
k8UdYzIbLkL8HUpgrade naar KadastraleKaart Pro
8RcmmN IUpgrade naar KadastraleKaart Pro
6gBK5qDPuG01Usap 79F5sUpgrade naar KadastraleKaart Pro
mPwvUMMhtxhLNjqPZoJaICBUpgrade naar KadastraleKaart Pro
NPdZe3Ux k1O 3bReX2Upgrade naar KadastraleKaart Pro
S9C8xbGGSbFNQNPkdptLgHUpgrade naar KadastraleKaart Pro
07/06/2010

Percelen
Gebruik de zoekbalk of klik op een perceel om informatie over het perceel te bekijken.