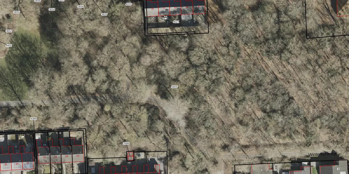
Perceel: VWD02-I-5805
KadastraleKaart.com kan meer dan je denktOntdek meer ›
Filter op bestemming 50+ datasets Eigendomsdata in één klik Percelen CRM
Geen adressen bij dit perceel
204.417 m2 - 13.922 m
Eigenaar opvragen
VWD02-I-5805 (Vlagtwedde)
- Geen postcode aanwezig
4Dpmu7FyIcQmqAo fHkzUpgrade naar KadastraleKaart Pro
Bekijk op Street View
Download DWG/DXF/Excel
2 ZNrGg2Z2Upgrade naar KadastraleKaart Pro
JlfHdSAoEeZ 8Upgrade naar KadastraleKaart Pro
Ksep26E eOmXEIMp Upgrade naar KadastraleKaart Pro
QcBzcSIT60Upgrade naar KadastraleKaart Pro
8OHIWqJLDd Upgrade naar KadastraleKaart Pro
k52E Ztx4Upgrade naar KadastraleKaart Pro
5i815TYp Upgrade naar KadastraleKaart Pro
U39pigVBseihce QI yUpgrade naar KadastraleKaart Pro
VJ sAm4 N8YK08dgUpgrade naar KadastraleKaart Pro
RffBsABe PbUpgrade naar KadastraleKaart Pro
02/04/2025

Percelen
Gebruik de zoekbalk of klik op een perceel om informatie over het perceel te bekijken.