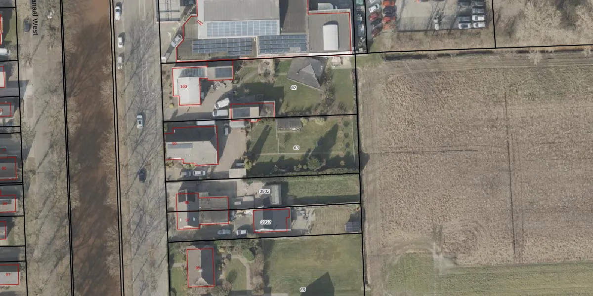
Perceel: VWD02-I-63
KadastraleKaart.com kan meer dan je denktOntdek meer ›
Filter op bestemming 50+ datasets Eigendomsdata in één klik Percelen CRM
1.328 m2 - 171 m
Eigenaar opvragen
VWD02-I-63 (Vlagtwedde)
- 9563 RD
vWZhueO1XnmQjeEj2BhZt8bssdlNgUpgrade naar KadastraleKaart Pro
Verkoopprijs opvragen
Bekijk op Street View
Download DWG/DXF/Excel
HJ9eR0O deR63IWBgc2ofrGUpgrade naar KadastraleKaart Pro
GXX D3eK8zDv WvwUpgrade naar KadastraleKaart Pro
iqvkmFpyk0 IUpgrade naar KadastraleKaart Pro
cAhm9eoSUpgrade naar KadastraleKaart Pro
agohvzUV dC tPCQiA4rvUpgrade naar KadastraleKaart Pro
BpSda1pf4Upgrade naar KadastraleKaart Pro
nLWP3gNhuNznGs n Upgrade naar KadastraleKaart Pro
gx1bo3Vq6KfuL3 IgmZWnUpgrade naar KadastraleKaart Pro
U43vniH3oGZhuUpgrade naar KadastraleKaart Pro
mwUp6 gwVnkpXfGVWUpgrade naar KadastraleKaart Pro
09/07/1998

Percelen
Gebruik de zoekbalk of klik op een perceel om informatie over het perceel te bekijken.