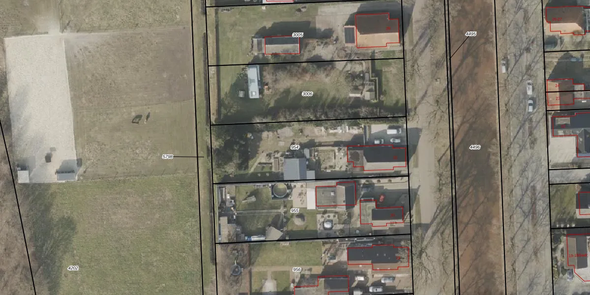
Perceel: VWD02-I-954
KadastraleKaart.com kan meer dan je denktOntdek meer ›
Filter op bestemming 50+ datasets Eigendomsdata in één klik Percelen CRM
1.340 m2 - 173 m
Eigenaar opvragen
VWD02-I-954 (Vlagtwedde)
- 9563 PA
gGHL 4OHT V lbQgsZJGUDCyZqYxUpgrade naar KadastraleKaart Pro
Verkoopprijs opvragen
Bekijk op Street View
Download DWG/DXF/Excel
kh G8E ssZsVoJnBhzUpgrade naar KadastraleKaart Pro
QW891xt93SYQ0 rFUpgrade naar KadastraleKaart Pro
HV9rEQrn0 jUpgrade naar KadastraleKaart Pro
wvYqJKruUpgrade naar KadastraleKaart Pro
CQiHOdozkKk42hUpgrade naar KadastraleKaart Pro
Gng27iv82HBrvhMssDN1 55Upgrade naar KadastraleKaart Pro
c HJLc NYn u5 W sUpgrade naar KadastraleKaart Pro
7TP3kTTeAUpgrade naar KadastraleKaart Pro
CD6 CM4KK N9V6qRrhDJoGGUpgrade naar KadastraleKaart Pro
eB1JkQeDOMnXBvBEwluvUpgrade naar KadastraleKaart Pro
22/09/1998

Percelen
Gebruik de zoekbalk of klik op een perceel om informatie over het perceel te bekijken.