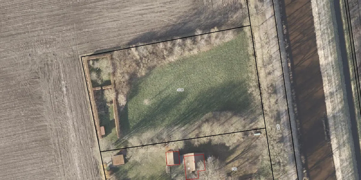
Perceel: VWD02-M-1038
KadastraleKaart.com kan meer dan je denktOntdek meer ›
Filter op bestemming 50+ datasets Eigendomsdata in één klik Percelen CRM
Geen adressen bij dit perceel
5.235 m2 - 299 m
Eigenaar opvragen
VWD02-M-1038 (Vlagtwedde)
- Geen postcode aanwezig
mwqd9j9 OY42Xj1h ArUpgrade naar KadastraleKaart Pro
Bekijk op Street View
Download DWG/DXF/Excel
2t4ZdqjTMUpgrade naar KadastraleKaart Pro
8 f8IuM pxw6HG0U9c vhUpgrade naar KadastraleKaart Pro
LV gm9R7j8Fp G2u Upgrade naar KadastraleKaart Pro
dVwX7hJ82To4IVOUpgrade naar KadastraleKaart Pro
6ghYkhNneBjSIC zToXg4TdUpgrade naar KadastraleKaart Pro
5vtvJIUoSajxed6upx3g IYUpgrade naar KadastraleKaart Pro
mV H j82ci fxVO1TVUpgrade naar KadastraleKaart Pro
yq IOOcxZoV2I8zkStAr9Upgrade naar KadastraleKaart Pro
hxlWvnc 96El39M6VUpgrade naar KadastraleKaart Pro
eYE r 2Ddp70CV 4n4Ie eAUpgrade naar KadastraleKaart Pro
13/10/2003

Percelen
Gebruik de zoekbalk of klik op een perceel om informatie over het perceel te bekijken.