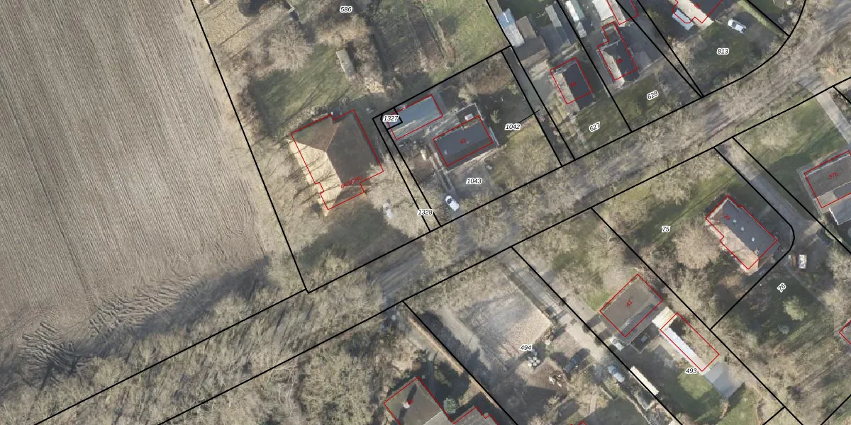
Perceel: VWD02-M-1328
KadastraleKaart.com kan meer dan je denktOntdek meer ›
Filter op bestemming 50+ datasets Eigendomsdata in één klik Percelen CRM
Geen adressen bij dit perceel
65 m2 - 66 m
Eigenaar opvragen
VWD02-M-1328 (Vlagtwedde)
- Geen postcode aanwezig
m48NUD VZ pXr Ml5os3fKgDlsXuXQ Upgrade naar KadastraleKaart Pro
Bekijk op Street View
Download DWG/DXF/Excel
BXtDjVe1wk2q7c8Upgrade naar KadastraleKaart Pro
w7Cti0WTUFaSuAarPjPUpgrade naar KadastraleKaart Pro
knU4 yxEUpgrade naar KadastraleKaart Pro
9vnQ6DPd3lm6ioUpgrade naar KadastraleKaart Pro
ePJOQfFoF7W Upgrade naar KadastraleKaart Pro
31Ln 5jw8gUpgrade naar KadastraleKaart Pro
0 YJkiWs9Fje Upgrade naar KadastraleKaart Pro
1AANFmF7gGe0qUpgrade naar KadastraleKaart Pro
OhxH B LsMuhcOUpgrade naar KadastraleKaart Pro
8Vqe7HVw0gKlorUpgrade naar KadastraleKaart Pro
21/05/2024

Percelen
Gebruik de zoekbalk of klik op een perceel om informatie over het perceel te bekijken.