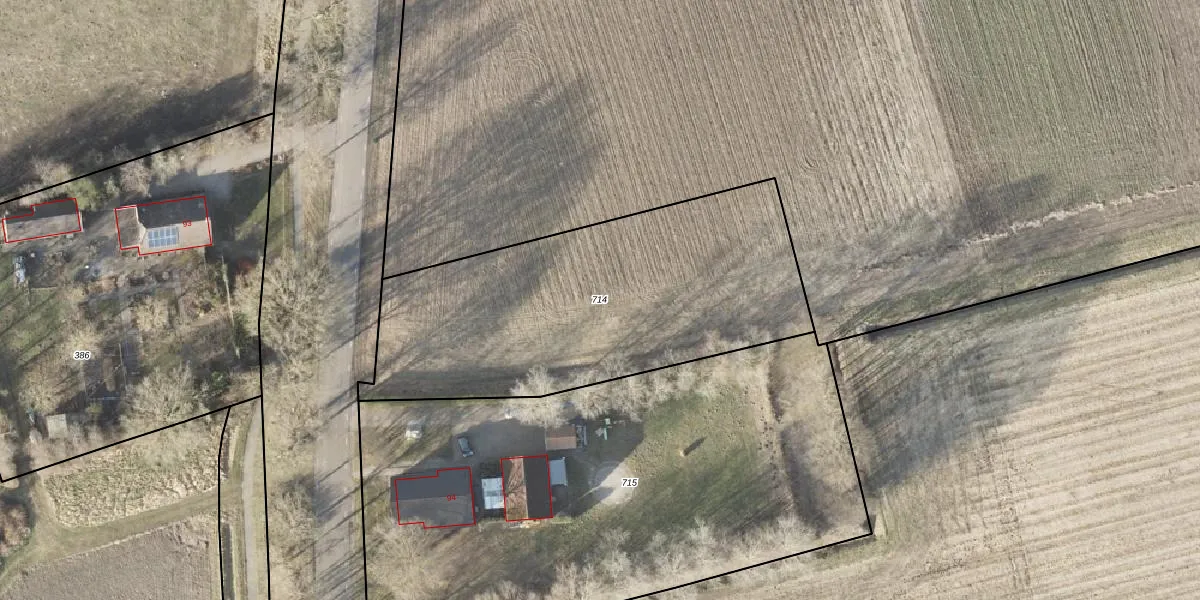
Perceel: VWD02-M-714
KadastraleKaart.com kan meer dan je denktOntdek meer ›
Filter op bestemming 50+ datasets Eigendomsdata in één klik Percelen CRM
Geen adressen bij dit perceel
1.770 m2 - 195 m
Eigenaar opvragen
VWD02-M-714 (Vlagtwedde)
- Geen postcode aanwezig
NnJ zDSTfNYL0zitKMyxlw2jzRyUpgrade naar KadastraleKaart Pro
Bekijk op Street View
Download DWG/DXF/Excel
K3ozWHHT8qEpUC4Pp560Upgrade naar KadastraleKaart Pro
F1YmbSeI90c9BUpgrade naar KadastraleKaart Pro
TS6CUd0a i7ELdqUpgrade naar KadastraleKaart Pro
aRjO3JDzvrUpgrade naar KadastraleKaart Pro
Rbt8wHNqJghF0rYL fthj7Upgrade naar KadastraleKaart Pro
Y1BMZ 5LQCUpgrade naar KadastraleKaart Pro
Pf6YF96IQMUpgrade naar KadastraleKaart Pro
641XoSDKmeBGADQagv9uWUpgrade naar KadastraleKaart Pro
LPzIY lxc lrz0 YAuzXInLUpgrade naar KadastraleKaart Pro
wucjuPPIrzAywD Pj HgNvyUpgrade naar KadastraleKaart Pro
21/10/1999

Percelen
Gebruik de zoekbalk of klik op een perceel om informatie over het perceel te bekijken.