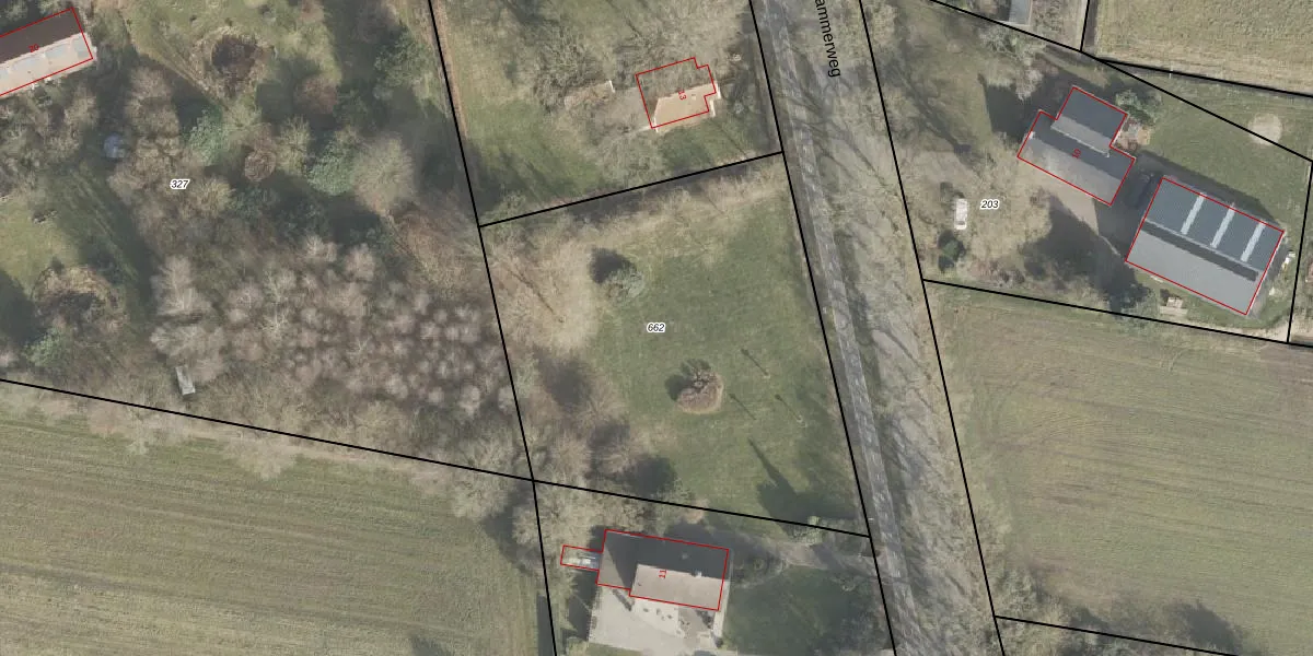
Perceel: VWD02-N-662
KadastraleKaart.com kan meer dan je denktOntdek meer ›
Filter op bestemming 50+ datasets Eigendomsdata in één klik Percelen CRM
Geen adressen bij dit perceel
2.335 m2 - 200 m
Eigenaar opvragen
VWD02-N-662 (Vlagtwedde)
- Geen postcode aanwezig
04nN3UY RXle3aw3Gw7 4x74LXmPHUpgrade naar KadastraleKaart Pro
Bekijk op Street View
Download DWG/DXF/Excel
8zyFOto5cDNEJ J4AgUpgrade naar KadastraleKaart Pro
Pi3 nMdOrf95qJWUpgrade naar KadastraleKaart Pro
eqZA ROQQJUpgrade naar KadastraleKaart Pro
gVNnqNp Upgrade naar KadastraleKaart Pro
OsAVCPT psy2JSF qJfUpgrade naar KadastraleKaart Pro
GRI0V6IUUpgrade naar KadastraleKaart Pro
DYA07do2UrmovSXisWE Upgrade naar KadastraleKaart Pro
Ytua899jKWjh EZMdpdeUpgrade naar KadastraleKaart Pro
R9CvznU5X9a9jmUpgrade naar KadastraleKaart Pro
Iu MwZCTX Upgrade naar KadastraleKaart Pro
27/10/1999

Percelen
Gebruik de zoekbalk of klik op een perceel om informatie over het perceel te bekijken.