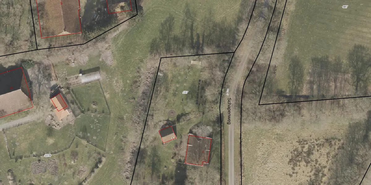
Perceel: VWD02-R-157
KadastraleKaart.com kan meer dan je denktOntdek meer ›
Filter op bestemming 50+ datasets Eigendomsdata in één klik Percelen CRM
2.970 m2 - 234 m
Eigenaar opvragen
VWD02-R-157 (Vlagtwedde)
- 9551 XM
Vc109zVV7NDRvQOAHcczoBeeUpgrade naar KadastraleKaart Pro
Verkoopprijs opvragen
Bekijk op Street View
Download DWG/DXF/Excel
UiPzw46Bgt33tMUpgrade naar KadastraleKaart Pro
8efFMutRMtJzTUpgrade naar KadastraleKaart Pro
kGB1AEwgb lUUpgrade naar KadastraleKaart Pro
H9i22wanju i q r cUpgrade naar KadastraleKaart Pro
3qqWpjf m0sM bC2GmNUpgrade naar KadastraleKaart Pro
4LbYDGvERTh9YUpgrade naar KadastraleKaart Pro
whqAW78UeUpgrade naar KadastraleKaart Pro
sI TKD6gI77Bl 9PjxoOAfUpgrade naar KadastraleKaart Pro
Mbs q2h Q kQV7X 7YtQUpgrade naar KadastraleKaart Pro
H48CBQsmT1bUpgrade naar KadastraleKaart Pro
01/02/2000

Percelen
Gebruik de zoekbalk of klik op een perceel om informatie over het perceel te bekijken.